
Amtliche Bekanntmachungen
Gemeinde Eisenbach (Hochschwarzwald)
Öffentliche Bekanntmachung zur Erteilung der Genehmigung der 16. Änderung des Flächennutzungsplans für das Gebiet des Bebauungsplanentwurfs „Solarpark Oberbränd‘“ in Eisenbach (Hochschwarzwald) – Ortsteil Oberbränd (Tag der Bereitstellung: 15.05.2026)
Öffentliche Bekanntmachung des Bebauungsplans "Solarpark Oberbränd" (Tag der Bereitstellung: 15.05.2026)
Öffentliche Bekanntmachung der Gemeinderatssitzung vom 20.05.2026 (Tag der Bereitstellung: 13.05.2026)
Öffentliche Bekanntmachung der Ortschaftsratssitzung vom 19.05.2026 (Tag der Bereitstellung: 12.05.2026)
Öffentliche Bekanntmachung der Satzung über die Entschädigung der ehrenamtlich tätigen Angehörigen der Gemeindefeuerwehr Eisenbach (Hochschwarzwald) nach § 16 FwG (Tag der Bereitstellung: 30.04.2026)
Öffentliche Bekanntmachung über das Nichtbestehen der UVP-Pflicht (Tag der Bereitstellung: 09.04.2026)
Öffentliche Bekanntmachung der Gemeinderatssitzung vom 15.04.2026 (Tag der Bereitstellung: 08.04.2026)
Öffentliche Bekanntmachung der Ortschaftsratssitzung vom 14.04.2026 (Tag der Bereitstellung: 07.04.2026)
Öffentliche Bekanntmachung zum Jahresabschluss 2025 des Abwasserzweckverbands Eisenbach-Vöhrenbach (Tag der Bereitstellung: 02.04.2026)
Öffentliche Bekanntmachung der Haushaltssatzung des Abwasserzweckverbands Eisenbach-Vöhrenbach (Tag der Bereitstellung: 02.04.2026)
Öffentliche Bekanntmachung des Abwasserzweckverbandes Eisenbach-Vöhrenbach vom 16.03.2026 (Tag der Bereitstellung: 04.03.2026)
Öffentliche Bekanntmachung der Gemeinderatssitzung vom 11.03.2026 (Tag der Bereitstellung: 04.03.2026)
Öffentliche Bekanntmachung der Ortschaftsratssitzung vom 10.03.2026 (Tag der Bereitstellung: 03.03.2026)
Öffentliche Bekanntmachung der Gemeinderatssitzung vom 25.02.2026 (Tag der Bereitstellung: 18.02.2026)
Öffentliche Bekanntmachung der Wahl zum 18. Landtag von Baden-Württemberg (Tag der Bereitstellung: 17.02.2026)
Öffentliche Bekanntmachung der Sitzung des Gemeinsamen Ausschusses der Verwaltungsgemeinschaft Titisee-Neustadt/Eisenbach (Hochschwarzwald) am Montag, 09.02.2026 um 18:00 Uhr (Tag der Bereitstellung: 02.02.2026)
Öffentliche Bekanntmachung über das Recht auf Einsicht in das Wählerverzeichnis (Tag der Bereitstellung: 23.01.2026)
Bekanntmachung der Haushaltssatzung und Wirtschaftsplan für das Haushaltsjahr 2026 (Tag der Bereitstellung: 28.01.2026)
Öffentliche Bekanntmachung der Ortschaftsratssitzung vom 27.01.2026 (Tag der Bereitstellung: 15.01.2026)
Öffentliche Bekanntmachung der Gemeinderatssitzung vom 21.01.2026 (Tag der Bereitstellung: 14.01.2026)
Bebauungsplan "Solarpark Oberbränd" mit örtlichen Bauvorschriften, Ortsteil Oberbränd, 3. öffentliche Auslegung gemäß § 4 a Abs. 3 Baugesetzbuch (Tag der Bereitstellung 11.12.2025)
Bodenschutzkonzept 2025-09-02 (4,4 MB)
Brandschutzkonzept 2025-08-11 (1,1 MB)
Öffentliche Bekanntmachung der Feststellung des Jahresabschlusses 2024 und Behandlung des Jahresverlustes der Wasserversorgung Eisenbach (Hochschwarzwald) (Tag der Bereitstellung: 10.12.2025)
Öffentliche Bekanntmachung der Gemeinderatssitzung vom 10.12.2025 (Tag der Bereitstellung: 03.12.2025)
Satzung über den Anschluss an die öffentliche Wasserversorgung und die Versorgung der Grundstücke mit Wasser (Wasserversorgungssatzung - WVS) vom 12. November 2025 (Tag der Bereitstellung: 28.11.2025)
Kostenordnung für die Benutzung der gemeindeeigenen Gebäude (Veranstaltungsräume) (Tag der Bereitstellung: 28.11.2025)
Satzung zur Änderung der Satzung über die Entsorgung von Kleinkläranlagen und geschlossenen Gruben (Entsorgungssatzung) (Tag der Bereitstellung: 28.11.2025)
Satzung über die öffentliche Abwasserbeseitigung (Tag der Bereitstellung: 28.11.2025)
Öffentliche Bekanntmachung - Zusammenlegung Vöhrenbach-Urach (Tag der Bereitstellung 03.11.2025)
Regierungspräsidium Freiburg legt Managementplan für das Vogelschutzgebiet „Mittlerer Schwarzwald“ vom 17. November 2025 bis 09. Januar 2026 öffentlich aus (Tag der Bereitstellung 23.10.2025)
Öffentliche Bekanntmachung des Landratsamtes Schwarzwald-Baar-Kreis (Tag der Bereitstellung: 19.09.2025)
zum Antrag des Abwasserzweckverbandes auf Erteilung einer neuen wasserrechtlichen Erlaubnis für den weiteren Betrieb der Verbandskläranlage Hammereisenbach mit Einleitung der im Einzugsgebiet der Kläranlage gesammelten und gereinigten Abwässer in die Breg, Flurstück Nr. 156/1 der Gemarkung Hammereisenbach.
Bebauungsplan "Solarpark Oberbränd" mit örtlichen Bauvorschriften, Ortsteil Oberbränd, 2. öffentliche Auslegung gemäß § 4 a Abs. 3 Baugesetzbuch (Tag der Bereitstellung: 07.08.2025)
Öffentliche Bekanntmachung - Veröffentlichung des Entwurfs der 15. punktuellen Flächennutzungsplanänderung „Solarpark am Kapf" (Tag der Bereitstellung: 30.07.2025)
Öffentliche Bekanntmachung - Polizeiverordnung der Gemeinde Eisenbach (Hochschwarzwald) (Tag der Bereitstellung: 02.07.2025)
Haushaltssatzung des Abwasserzweckverbands Eisenbach-Vöhrenbach (Tag der Bereitstellung: 10.06.2025)
Öffentliche Bekanntmachung der Bodenrichtwerte zum 01.01.2025 (Tag der Bereitstellung: 03.06.2025)
Jahresabschluss 2023 - Wasserversorgung der Gemeinde Eisenbach (Hochschwarzwald) (Tag der Bereitstellung: 02.06.2025)
Jahresabschluss für das Haushaltsjahr 2023 (Tag der Bereitstellung: 02.06.2025)
Satzung zur Änderung der Kindergartensatzung (Tag der Bereitstellung: 20.05.2025)
Satzung über die Nutzung des Reisemobilparks "Höchstberg" und die Erhebung der Benutzungsgebühr (Tag der Bereitstellung: 20.05.2025)
Öffentliche Bekanntmachung - Jahresabschluss 2024 des Abwasserzweckverbands Eisenbach-Vöhrenbach (Tag der Bereitstellung: 12.05.2025)
Bekanntmachung über die Durchführung des Volksbegehrens „XXL-Landtag verhindern!“ über das „Gesetz zur Änderung des Landtagswahlgesetzes – Aufblähung des Landtags durch Reduktion der Wahlkreise und Direktmandate von 70 auf 38 vermeiden“ (Tag der Bereitstellung: 10.04.2025)
Bekanntmachung der Haushaltssatzung und Wirtschaftsplan für das Haushaltsjahr 2025 (Tag der Bereitstellung: 27.01.2025)
Bebauungsplan "Solarpark Oberbränd" mit örtlichen Bauvorschriften, Ortsteil Oberbränd, Öffentliche Auslegung gemäß § 3 Abs. 2 Baugesetzbuch (Tag der Bereitstellung: 16.12.2024)
16. punktuelle Änderung des Flächennutzungsplans für das Bebauungsplangebiet "Solarpark Oberbränd", Offenlage nach § 3 Abs. 2 Baugesetzbuch (Tag der Bereitstellung: 16.12.2024)
Satzung der Gemeinde Eisenbach (Hochschwarzwald) über die Erhebung der Grundsteuer und Gewerbesteuer (Hebesatzsatzung) (Tag der Bereitstellung: 13.11.2024)
Satzung der Gemeinde Eisenbach (Hochschwarzwald) über die Erhebung einer Kurtaxe (Kurtaxesatzung - KTS) (Tag der Bereitstellung: 13.11.2024)
Öffentliche Bekanntmachung über das Nichtbestehen der UVP-Pflicht (Tag der Bereitstellung: 21.06.2024)
Öffentliche Bekanntmachung - Satzung zur Änderung der Kindergartensatzung vom 19.07.2023 (Tag der Bereitstellung: 21.06.2024)
Öffentliche Bekanntmachung - Haushaltssatzung des Abwasserzweckverbands Eisenbach-Vöhrenbach (Tag der Bereitstellung: 04.06.2024)
Satzung zur Änderung der Satzung über die Entschädigung für ehrenamtliche Tätigkeit (Tag der Bereitstellung: 16.05.2024)
16. punktuelle Änderung des Flächennutzungsplans für das Bebauungsplangebiet "Solarpark Oberbränd"; Änderungsbeschluss und Beteiligung der Öffentlichkeit gemäß § 3 Abs. 1 Baugesetzbuch
Die Verwaltungsgemeinschaft Titisee-Neustadt/Eisenbach hat am 31.10.2023 in öffentlicher Sitzung gemäß § 2 Abs. 1 Baugesetzbuch (BauGB) beschlossen, den Flächennutzungsplan (FNP) punktuell zum 16. Mal für das Gebiet des Bebauungsplanes „Solarpark Oberbränd“ zu ändern. Der Geltungsbereich hat eine Größe von ca. 9,0 ha und liegt nördlich der Oberbränder Straße (Kreisstraße 4993) und in der Nähe der östlichen Gemeindegrenze. der Gemeinde Eisenbach (Hochschwarzwald) im Ortsteil Oberbränd.
Hier soll eine landwirtschaftliche Fläche in eine Sonderbaufläche (SO) für Solarenergie zum Bau einer Freiflächen-Solaranlage (Solarpark) umgewidmet werden. In die Umwidmung zum Sondergebiet fallen auch eine kleine Teilfläche einer als geplant dargestellten gewerblichen Baufläche und eine kleinere private Grünfläche. Die Änderungsfläche kann dem abgedruckten Lageplan vom 31.10.2023 entnommen werden. Maßgebend ist der Entwurf zur 16. FNP-Änderung in der Fassung zur frühzeitigen Öffentlichkeitsbeteiligung.
Die Änderung erfolgt im zweistufigen Verfahren gemäß BauGB. Um die erforderliche Rechtsgrundlage für den Bau des Solarparks zu schaffen, wird die Gemeinde Eisenbach (Hochschwarzwald) im Parallelverfahren den Bebauungsplan „Solarpark Oberbränd“ aufstellen.
Der Beschluss zur 16. Änderung des Flächennutzungsplanes wird hiermit gemäß § 2 Abs. 1 BauGB öffentlich bekannt gemacht.
Frühzeitige Öffentlichkeitsbeteiligung
Um die Öffentlichkeit möglichst frühzeitig über die allgemeinen Ziele und Zwecke der Planung zu informieren und Gelegenheit zur Äußerung und Erörterung zu geben, werden die Unterlagen zur 16. FNP-Änderung mit Begründung, Deckblatt und Umweltbericht (Steckbrief) gemäß § 3 Abs. 1 BauGB in der Zeit von Montag, 04.12.2023, bis einschließlich Freitag, 12.01.2024, wie folgt zur Einsicht öffentlich ausgelegt:
Im Rathaus, Bei der Kirche 1, 79871 Eisenbach (Hochschwarzwald) Öffnungszeiten: Montag 08:00 - 12:00 Uhr und 14:00 - 16:00 Uhr, Dienstag 08:00 - 12:00 Uhr, Mittwoch 08:00 - 12:00 Uhr, Donnerstag 08:00 - 12:00 Uhr und 14:00 - 18:30 Uhr, Freitag 08:00 - 12:00 Uhr.
Der Planungsentwurf kann während des oben genannten Zeitraumes im Internet auf der Homepage der Gemeinde Eisenbach (Hochschwarzwald) unter Startseite » Rathaus & Service » Amtliche Bekanntmachungen eingesehen werden.
Während der Dauer dieser Öffentlichkeitsbeteiligung können Stellungnahmen elektronisch per E-Mail an info@eisenbach.de oder wahlweise schriftlich oder mündlich zur Niederschrift im Rathaus (Zimmer Nr. 7) abgegeben werden.
Umweltbezogene Informationen sind dem Umweltbericht (Steckbrief) zu entnehmen zu den Themen: Schutzgebiete, Schutzgüter Boden, Wasser, Arten und Biotope, Landschaftsbild und Erholung, Klima, Abfall, Risiken und Wechselwirkungen.
Im Rahmen der Offenlage nach § 3 Abs. 2 BauGB, die zu gegebener Zeit bekannt gemacht wird, besteht erneut die Möglichkeit zur Information und zur Stellungnahme.
Titisee-Neustadt, 20.11.2023
Dr. Gerrit Reeker
Vorsitzender der Verwaltungsgemeinschaft
Titisee-Neustadt - Eisenbach
Bebauungsplan "Solarpark Oberbränd" mit örtlichen Bauvorschriften, Ortsteil Oberbränd, Aufstellungsbeschluss und frühzeitige Beteiligung der Öffentlichkeit gemäß § 3 Abs. 1 Baugesetzbuch
Der Gemeinderat der Gemeinde Eisenbach (Hochschwarzwald) hat am 10.05.2023 beschlossen, den Bebauungsplan „Solarpark Oberbränd“, Gemeinde Eisenbach (Hochschwarzwald), Ortsteil Oberbränd, mit zugehörigen örtlichen Bauvorschriften nach § 74 LBO gemäß § 2 Abs. 1 Baugesetzbuch (BauGB) aufzustellen.
Der Bebauungsplan soll die planungsrechtliche Grundlage für den Bau einer Freiflächen-Photovoltaikanlage schaffen. Es soll das Sondergebiet „Solarpark Oberbränd“ nach § 11 Baunutzungsverordnung ausgewiesen werden. Ziel der Planung ist es im Wesentlichen, einen Beitrag zum Klimaschutz durch die Erzeugung von regenerativer Energie (Solarstrom) zu leisten. Der Energieertrag des geplanten Solarparks beträgt ca. 9 Mio kWh, was dem jährlichen Verbrauch von ca. 2.500 Haushalten mit einem jeweiligen Verbrauch von 3.500 kWh entspricht.
Der Geltungsbereich des Bebauungsplanes hat eine Größe von ca. 10,8 ha und liegt im Osten des Ortsteiles Oberbränd an der Gemarkungsgrenze und nördlich der Oberbränder Straße. Die Abgrenzung ist aus dem Lageplan vom 11.10.2023 ersichtlich. Maßgebend ist der Entwurf des Bebauungsplanes „Solarpark Oberbränd“.
Der Aufstellungsbeschluss zum Bebauungsplan „Solarpark Oberbränd“ mit zugehörigen örtlichen Bauvorschriften wird hiermit gemäß § 2 Abs. 1 BauGB öffentlich bekannt gemacht.
Frühzeitige Öffentlichkeitsbeteiligung
Am 11.10.2023 hat der Gemeinderat in öffentlicher Sitzung den Entwurf des Bebauungsplanes „Solarpark Oberbränd“ mit örtlichen Bauvorschriften gebilligt und beschlossen, die Öffentlichkeit gemäß § 3 Abs. 1 BauGB frühzeitig an der Planung zu beteiligen.
Dazu wird der Entwurf des Bebauungsplanes mit Umweltbericht und örtlichen Bauvorschriften in der Zeit von Montag, 04.12.2023, bis einschließlich Freitag, 12.01.2024, im Rathaus, Bei der Kirche 1, 79871 Eisenbach (Hochschwarzwald) zur Einsicht öffentlich ausgelegt. Die Öffnungszeiten des Rathauses sind: Montag 08:00 - 12:00 Uhr und 14:00 - 16:00 Uhr, Dienstag 08:00 - 12:00 Uhr, Mittwoch 08:00 - 12:00 Uhr, Donnerstag 08:00 - 12:00 Uhr und 14:00 - 18:30 Uhr, Freitag 08:00 - 12:00 Uhr.
Der Planungsentwurf kann während des oben genannten Zeitraumes auch im Internet auf der Homepage der Gemeinde Eisenbach (Hochschwarzwald) unter Startseite » Rathaus & Service » Amtliche Bekanntmachungen eingesehen werden.
Während der Dauer dieser Öffentlichkeitsbeteiligung können Stellungnahmen elektronisch per E-Mail an info@eisenbach.de oder wahlweise schriftlich oder mündlich zur Niederschrift im Rathaus (Zimmer Nr. 7) abgegeben werden.
Umweltbezogene Informationen sind dem Umweltbericht zu entnehmen zu den Themen: Schutzgebiete, Schutzgüter Boden, Wasser, Arten und Biotope, Landschaftsbild und Erholung, Klima, Abfall, Risiken und Wechselwirkungen.
Im Rahmen der Offenlage nach § 3 Abs. 2 BauGB, die zu gegebener Zeit bekannt gemacht wird, besteht erneut die Möglichkeit zur Information und zur Stellungnahme.
Eisenbach (Hochschwarzwald), 22.11.2023
Karlheinz Rontke, Bürgermeister
Öffentliche Bekanntmachung des Gutachterausschusses Breisgau-Nord Hochschwarzwald
Öffentliche Bekanntmachung des Gutachterausschusses Breisgau-Nord Hochschwarzwald
Nach § 193 Abs. 5 und § 196 Baugesetzbuch (BauGB) in der geltenden Fassung i.V.m. dem § 12 der Gutachterausschussverordnung Baden-Württemberg vom 11.Dezember 1989 in der Fassung vom 26.September 2017 zuletzt geändert durch Verordnung am 21.Dezember 2021 und den §§ 13 ff. der Immobilienwertermittlungsverordnung 2021 (ImmoWertV 2021) vom 14.Juli 2021 wurden vom Gutachterausschuss Breisgau-Nord Hochschwarzwald folgende zonalen Bodenrichtwerte/ Bodenrichtwertgrundstücke für Grundstücke im Gebiet des Gutachterausschusses Breisgau-Nord Hochschwarzwald zum Stichtag 01.Januar 2023 ermittel.
Bodenrichtwerte vom 01.01.2023
Die vom Gutachterausschuss abgeleiteten zonalen Bodenrichtwerte für baureifes Land wurden entsprechend den oben genannten Bestimmungen ermittelt.
Die zonalen Bodenrichtwertangaben in Euro/m² für baureifes Land der Wohngebiete (W), Mischgebiete (M), Gewerbe- und Industriegebiete (GE / GI) und Sondergebiet (SO) enthalten die Erschließungskosten (ebf). Hierbei ist berücksichtigt, dass sich die Erschließungskosten örtlich sehr unterschiedlich darstellen.
Die in den Bodenrichtwertkarten mit „W“ bezeichneten Bodenrichtwerte beziehen sich sowohl auf baureife Wohngebiete als auch auf baureife Mischgebiete, sofern die Mischgebiete nicht separat ausgewiesen sind.
Die zonalen Bodenrichtwertgrundstücke geben in Kurzform den Bodenwert eines baureifen Grundstückes innerhalb der jeweiligen Bodenrichtwertzone mit der Art der baulichen Nutzung (W / M / GE / GI / SO) und der im Regelfall in der Örtlichkeit vorhandenen Bebauung bezogen auf die Geschossigkeit (I-, II-, III-, IV-geschossig) an. Die Ausweisung „bebaute Flächen im Außenbereich“ bezieht sich auf bebaute Wohnbaugrundstücke, die planungsrechtlich im Außenbereich liegen.
Hinweis: Die zonalen Bodenrichtwerte beziehen sich nicht auf Grundstücke, die aufgrund von Sonderregelungen durch die aktive Baulandpolitik der Gemeinden oder durch Bauträger/private Bauherrengemeinschaften beeinflusst werden!
Entsprechend den gesetzlichen Vorgaben des § 15 ff. Immobilienwertermittlungsverordnung (ImmoWertV) 2021 kann der Bodenwert eines Grundstückes um bis zu +/- 30 % des ermittelnden Bodenrichtwertes abweichen.
Die Bodenrichtwert – Zonenbildung der baureifen Wohn-, Misch-, Gewerbe-, Industrie- und Sondergebiete erfolgte aus den jeweiligen Flächennutzungsplänen, teils aus den Bebauungsplänen und städtebaulichen Satzungen, sowie aus Luftbildern und sachverständigem Ermessen nach Besichtigungen vor Ort. Die Abgrenzung erfolgte möglichst flurstücksgenau.
Hinweis: Die Abgrenzung der Bodenrichtwertzonen sowie die Festsetzung der Höhe der Bodenrichtwerte und der Beschreibung der Bodenrichtwertgrundstücke begründen keine Ansprüche zum Beispiel gegenüber den Trägern der Bauleitplanung, Baugenehmigungsbehörden oder Landwirtschaftsbehörden.
Einzelfallbezogene Grundstücksbesonderheiten:
Die zonalen Bodenrichtwerte sind bezogen auf den Quadratmeter Grundstücksfläche eines Grundstückes mit den dargestellten Grundstücksmerkmalen (Bodenrichtwertgrundstücke). Da die zonalen Bodenrichtwerte nur durchschnittliche Lagewerte des Bodens für eine Mehrheit von Grundstücken innerhalb eines abgegrenzten Gebietes (Bodenrichtwertzone) mit im Wesentlichen gleichen Nutzungs- und Wertverhältnissen darstellen, kann der Bodenwert eines einzelnen Grundstückes je nach Beschaffenheit (Lage, Zuschnitt, Größe, bauliche Ausnutzbarkeit, Erschließungszustand, Zuwegung, eventuell vorhandene bauplanungs-rechtliche Festsetzungen, geologische Baugrundsituationen, geogene Belastungen, Altlasten, Denkmalschutz, Hochwassergefahrengebiete, Grundwasserverhältnisse, Bewirtschaftbarkeit, besondere geografische und topografische Gegebenheiten oder Ähnlichem) in der Regel um 30 % nach oben oder unten abweichen. Der Bodenwert des einzelnen Grundstückes ist im Bedarfsfall durch ein gebührenpflichtiges Verkehrswertgutachten zu ermitteln.
In den einzelnen Gemeinden ist zu beachten, dass vor Ort sehr unterschiedliche Erschließungssituationen (Wasser, Abwasser, Straßen-/Wegezufahrten, etc) bestehen können. Bezogen auf den Einzelfall sind diese besonderen Gegebenheiten in der Verkehrswertermittlung zu berücksichtigen.
Land- und forstwirtschaftliche Hofstellen und Wohnbebauung im Außenbereich:
Die Bodenrichtwerte bei als Weingarten/Rebland und forstwirtschaftlich genutzten Grundstücken beinhalten den Aufwuchs (Bodenwertanteil mit Aufwuchs).
Bebaute land- und forstwirtschaftlich genutzte Hofstellen können abweichende Bodenwerte haben. Da diese oftmals eine sehr große Fläche aufweisen, kann bei der Ermittlung des Bodenwertes für die zur Wohnnutzung dienenden Grundstücksflächen als Flächengröße, in Anlehnung an die Bodenrichtwertleitlinien 2022 der Finanzverwaltung, in der Regel bis zum 5-fachen der überbauten Wohnbaufläche (z.B. Wohnhaus, Leibgeding, Ferienhaus) angenommen werden. In der Regel wird hier nicht die gesamte land- oder forstwirtschaftliche Hofstelle zur Ermittlung des Bodenrichtwertes angesetzt. Dieses gilt im Bedarfsfall auch für sonstige übergroße Grundstücke mit Wohnbebauung im Außenbereich. Diese Bodenwerte können im Bedarfsfall durch eine gebührenpflichtige Bodenwertermittlung des Gutachterausschusses festgestellt werden.
Land- und forstwirtschaftlich genutzte Flächen in der Nähe von bebauten Ortsrandlagen und für öffentliche Straßen- / Wegebaumaßnahmen (oder sonstige Sonderbaumaßnahmen) können vereinzelt auch höhere Kaufpreise aufweisen.
Sonderbauflächen, Bauerwartungsland, Rohbauland:
Aufgrund den besonderen rechtlichen Gegebenheiten sowie den tatsächlichen oder künftigen Nutzungsverhältnissen unterschiedlichster Art hat der Gutachterausschuss keine Bodenrichtwerte für baureife Sonderbauflächen des Gemeinbedarfs und für werdendes Bauland (Bauerwartungsland, Rohbauland) ermittelt (z.B. insbesondere wegen den unsicheren Entwicklungszeiten zu baureifem Land). Die Bodenwerte für derartige Bauflächen können im Bedarfsfall nur durch gebührenpflichtige Verkehrswertgutachten ermittelt werden.
Hinweise:
Die zonalen Bodenrichtwerte haben keine bindende Wirkung.
Die der zonalen Bodenrichtwerttabelle beigefügten Bodenrichtwertzonen-Übersichtskarten der Mitgliedsgemeinden sind Bestandteil der Bodenrichtwertermittlungen und sollten bei Bedarf bei der Bodenrichtwertzuordnung eingesehen werden.
Die zonalen Bodenrichtwerte und die Bodenrichtwertzonen-Übersichtskarten sind im Internet unter www.gutachterausschuss-bnh.de und in Kürze auch unter www.gutachterausschuesse-bw.de (BORIS-BW) kostenfrei abrufbar. Weiterhin liegen Sie in der Geschäftsstelle des Gutachterausschusses Breisgau-Nord Hochschwarzwald, Hauptstraße 24, 79199 Kirchzarten zur Einsichtnahme während der üblichen Öffnungszeiten aus.
Kirchzarten, den 19. April 2023
gez. Werner Widmann
Vorsitzender des Gutachterausschusses
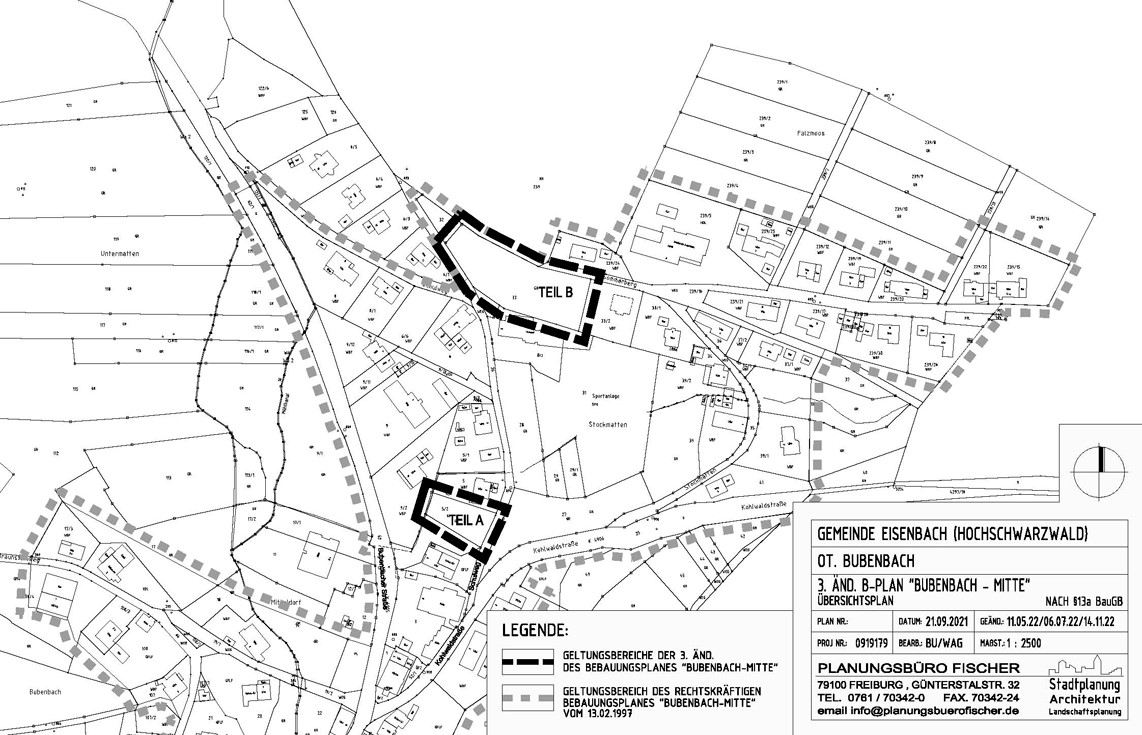
Öffentliche Bekanntmachung: Inkrafttreten der dritten Änderung des Bebauungsplans "Bubenbach-Mitte"
Öffentliche Bekanntmachung (Tag der Bereitstellung: 02.06.2023)
3. Änderung des Bebauungsplans Bubenbach-Mitte (283 KB) (Tag der Bereitstellung: 27.06.2025)
Inkrafttreten der 3. Änderung des Bebauungsplans "Bubenbach-Mitte" mit örtlichen Bauvorschriften, Gemeinde Eisenbach (Hochschwarzwald) als Bebauungsplan der Innenentwicklung im beschleunigten Verfahren nach § 13a BauGB
Der Gemeinderat der Gemeinde Eisenbach (Hochschwarzwald) hat in seiner öffentlichen Sitzung am 10.05.2023 den Bebauungsplan "Bubenbach-Mitte" - 3. Änderung und die zusammen mit dem B-Plan aufgestellten örtlichen Bauvorschriften nach § 10 BauGB als Satzung beschlossen.
Das Planungsgebiet im Ortsteil Bubenbach umfasst zwei räumlich getrennte Bereiche mit insgesamt ca. 0,35 ha im Geltungsbereich des Bebauungsplans "Bubenbach - Mitte" von 1997.
Teil A (Flst. Nr. 5/2) schließt an die vorhandene Bebauung längs der Straße Schulweg an. Es wird begrenzt im Osten durch den Schulweg, im Norden, Süden und Westen durch bebaute Grundstücke.
Teil B (Flst. Nr. 33) umfasst ein Grundstück am nördlichen Ortsrand, südlich der Straße Sommerberg. Der Teil B wird begrenzt im Westen durch die Bebauung im Geltungsbereich des Bebauungsplans "Schulweg" von 1983. Im Süden und Osten begrenzt die vorhandene Bebauung das Gebiet. Im Norden grenzt Wald bzw. das Landschaftsschutzgebiet "Hochschwarzwald" und Bebauung an.
Der Bebauungsplan mit Begründung und mit sämtlichen Bestandteilen kann während den üblichen Dienststunden im Rathaus der Gemeinde Eisenbach (Hochschwarzwald) eingesehen werden.
Mit dieser Bekanntmachung treten der Bebauungsplan "Bubenbach-Mitte" - 3. Änderung und die zugehörigen örtlichen Bauvorschriften in Kraft (§ 10 Abs. 3 BauGB).
Jedermann kann den Bebauungsplan "Bubenbach-Mitte" - 3. Änderung und die zugehörigen örtlichen Bauvorschriften mit Begründung und sämtlichen Bestandteilen einsehen und über den Inhalt Auskunft verlangen.
Weiterhin kann der B-Plan mit diesen Planunterlagen im zentralen Internetportal des Landes Baden-Württemberg
https://www.uvp-verbund.de/kartendienste (Bauleitplanung) eingesehen werden.
Die Bekanntmachung tritt an die Stelle der sonst für Satzungen vorgeschriebenen Veröffentlichung.
Auf die Voraussetzungen für die Geltendmachung der Verletzung von Verfahrens- und Formvorschriften und von Mängeln der Abwägung sowie die Rechtsfolgen des § 215 Abs. 1 BauGB wird hingewiesen. Unbeachtlich werden demnach
1. eine nach § 214 Abs. 1 Satz 1 Nr. 1-3 BauGB beachtliche Verletzung der dort bezeichneten Verfahrens- und Formvorschriften,
2. eine unter Berücksichtigung des § 214 Abs. 2 BauGB beachtliche Verletzung der Vorschriften über das Verhältnis des Bebauungsplans und des Flächennutzungsplans, und
3. nach § 214 Abs. 3 Satz 2 BauGB beachtliche Mängel des Abwägungsvorgangs,
wenn sie nicht innerhalb eines Jahres seit dieser Bekanntmachung schriftlich gegenüber der Gemeinde unter Darlegung des die Verletzung begründenden Sachverhalts geltend gemacht worden sind. Dies gilt entsprechend, wenn Fehler nach § 214 Abs. 2a BauGB beachtlich sind.
Auf die Vorschriften des § 44 Abs. 3 Satz 1 und 2 BauGB über die Fälligkeit etwaiger Entschädigungsansprüche, deren Leistung schriftlich beim Entschädigungspflichtigen zu beantragen ist, und des § 44 Abs. 4 BauGB über das Erlöschen von Entschädigungsansprüchen wird hingewiesen.
Nach § 4 Abs. 4 der Gemeindeordnung für Baden-Württemberg (GemO) gelten Satzungen, die unter der Verletzung von Verfahrens- und Formvorschriften der Gemeindeordnung Baden-Württemberg oder aufgrund der Gemeindeordnung Baden-Württemberg ergangenen Bestimmung zustande gekommen sind, ein Jahr nach dieser Bekanntmachung als von Anfang an gültig zustande gekommen. Dies gilt nicht wenn,
1. die Vorschriften über die Öffentlichkeit der Sitzung, die Genehmigung oder die Bekanntmachung des Bebauungsplans verletzt worden sind,
2. der Bürgermeister dem Beschluss nach § 43 Gemeindeordnung Baden-Württemberg wegen Gesetzwidrigkeit widersprochen hat oder wenn innerhalb eines Jahres seit dieser Bekanntmachung die Rechtsaufsichtsbehörde den Beschluss beanstandet hat oder die Verletzung der Verfahrens- und Formvorschriften gegenüber der Gemeinde unter Bezeichnung des Sachverhalts, der die Verletzung begründen soll, schriftlich oder elektronisch geltend gemacht worden ist.
Ist eine Verletzung nach vorstehender Nr. 2 geltend gemacht worden, so kann auch nach Ablauf der Jahresfrist des § 4 Abs. 4 Satz 1 Gemeindeordnung Baden-Württemberg jedermann diese Verletzung geltend machen.
Eisenbach (Hochschwarzwald), den 2. Juni 2023
gez.
Karlheinz Rontke,
Bürgermeister
Öffentliche Bekanntmachung zur Änderung der Hauptsatzung
Öffentliche Bekanntmachung zur Änderung der Hauptsatzung
Hauptsatzung
Der Gemeinde Eisenbach (Hochschwarzwald)
vom 24. März 2021
Inhaltsübersicht
Abschnitt I Form der Gemeindeverfassung § 1
Abschnitt II Gemeinderat §§ 2 - 4
Abschnitt III Ausschüsse des Gemeinderats §§ 5
Abschnitt IV Bürgermeister §§ 6, 7
Abschnitt V Stellvertretung des Bürgermeisters § 8
Abschnitt VI Ortsteile § 9
Abschnitt VII Ortschaftsverfassung §§ 10 – 14
Abschnitt VIII Schlussbestimmungen § 15
Aufgrund des § 4 der Gemeindeordnung für Baden-Württemberg - GemO - hat der Gemeinderat am 24. März 2021 folgende Hauptsatzung beschlossen:
I. Form der Gemeindeverfassung
§ 1 Gemeinderatsverfassung
Verwaltungsorgane der Gemeinde sind der Gemeinderat und der Bürgermeister.
II. Gemeinderat
§ 2 Rechtsstellung, Aufgaben und Zuständigkeiten
Der Gemeinderat ist die Vertretung der Bürger und das Hauptorgan der Gemeinde.
Er legt die Grundsätze für die Verwaltung der Gemeinde fest und entscheidet über alle Angelegenheiten der Gemeinde, soweit nicht der Gemeinderat dem Bürgermeister bestimmte Angelegenheiten übertragen hat oder der Bürgermeister kraft Gesetzes zuständig ist. Der Gemeinderat überwacht die Ausführung seiner Beschlüsse und sorgt beim Auftreten von Missständen in der Gemeindeverwaltung für deren Beseitigung durch den Bürgermeister.
§ 3 Zusammensetzung
Der Gemeinderat besteht aus dem Bürgermeister als Vorsitzendem und 12 ehrenamtlichen Mitgliedern (Gemeinderäte).
§ 4 Durchführung von Sitzungen ohne persönliche Anwesenheit der Mitglieder im Sitzungsraum
Der Bürgermeister kann Sitzungen des Gemeinderats ohne persönliche Anwesenheit der Mitglieder im Sitzungsraum in Form von Videokonferenzen einberufen. Die Voraus-setzungen für die Einberufung und die Durchführung dieser Sitzung richtet sich nach den Bestimmungen des § 37a Abs. 1 und 2 GemO. Für Sitzungen der beratenden/beschließenden Ausschüsse des Gemeinderats gelten diese Regelungen entsprechend.
III. Ausschüsse des Gemeinderats
§ 5 Beratende Ausschüsse
Es wird ein Finanzausschuss als beratender Ausschuss eingerichtet. Weitere beratende Ausschüsse werden gebildet, wenn eine Notwendigkeit gegeben ist.
IV. Bürgermeister
§ 6 Rechtsstellung
Der Bürgermeister ist hauptamtlicher Beamter auf Zeit.
§ 7 Zuständigkeiten
(1) Der Bürgermeister leitet die Gemeindeverwaltung und vertritt die Gemeinde. Er ist für die sachgemäße Erledigung der Aufgaben und den ordnungsgemäßen Gang der Verwaltung verantwortlich und regelt die innere Organisation der Gemeindeverwaltung. Der Bürgermeister erledigt in eigener Zuständigkeit die Geschäfte der laufenden Verwaltung und die ihm sonst durch Gesetz oder den Gemeinderat übertragenen Aufgaben. Weisungsaufgaben erledigt der Bürgermeister in eigener Zuständigkeit, soweit gesetzlich nichts anderes bestimmt ist. Dies gilt auch, wenn die Gemeinde in einer Angelegenheit angehört wird, die aufgrund einer Anordnung der zuständigen Behörde geheim zu halten ist.
(2) Dem Bürgermeister werden folgende Aufgaben zur Erledigung dauernd übertragen, soweit es sich nicht bereits um Geschäfte der laufenden Verwaltung handelt:
2.1 die Bewirtschaftung der Mittel nach dem Haushaltsplan bis zum Betrag von 15.000 Euro im Einzelfall;
2.2 die Zustimmung zu überplanmäßigen und außerplanmäßigen Ausgaben bis zu 3.000 Euro im Einzelfall;
2.3 die Einstellung und Entlassung und sonstige personalrechtliche Entscheidungen von Aushilfskräften, geringfügig Beschäftigten, Praktikanten, Personen im Bundesfreiwilligendienst;
2.4 die Gewährung von unverzinslichen Lohn- und Gehaltsvorschüssen;
2.5 die Bewilligung von nicht im Haushaltsplan einzeln ausgewiesenen Freigebigkeitsleistungen bis zu 500 Euro im Einzelfall;
2.6 die Stundung von Forderungen im Einzelfall,
2.6.1 bis zu 3 Monaten in unbeschränkter Höhe,
2.6.2 über 3 Monate bis zu 6 Monaten bis zu einem Betrag von 3.000 Euro;
2.7 den Verzicht auf Ansprüche der Gemeinde und die Niederschlagung solcher Ansprüche, die Führung von Rechtsstreiten und den Abschluss von Vergleichen, wenn der Verzicht oder die Niederschlagung, der Streitwert oder bei Vergleichen das Zugeständnis der Gemeinde im Einzelfall nicht mehr als 500 Euro beträgt;
2.8 die Veräußerung und dingliche Belastung, den Erwerb und Tausch von Grundeigentum oder grundstücksgleichen Rechten, einschließlich der Ausübung von Vorkaufsrechten, im Wert bis zu 10.000 Euro im Einzelfall;
2.9 Verträge über die Nutzung von Grundstücken oder beweglichem Vermögen bis zu einem jährlichen Miet- oder Pachtwert von 3.000 EUR im Einzelfall;
2.10 die Veräußerung von beweglichem Vermögen bis zu 5.000 Euro im Einzelfall;
2.11 die Bestellung von Bürgern zu ehrenamtlicher Mitwirkung sowie die Entscheidung darüber, ob ein wichtiger Grund für die Ablehnung einer solchen ehrenamtlichen Mitwirkung vorliegt;
2.12 die Zuziehung sachkundiger Einwohner und Sachverständiger zu den Beratungen einzelner Angelegenheiten im Gemeinderat und in beschließenden Ausschüssen
2.13 die Beauftragung der Feuerwehr zur Hilfeleistung in Notlagen und mit Maßnahmen der Brandverhütung im Sinne des § 2 Abs. 2 Feuerwehrgesetz.
V. Stellvertretung des Bürgermeisters
§ 8 Stellvertreter des Bürgermeisters
Die ehrenamtlichen Stellvertreter des Bürgermeisters werden nach jeder Gemeinderatswahl aus der Mitte des Gemeinderats gewählt.
VI. Ortsteile
§ 9 Benennung der Ortsteile
(1) Das Gemeindegebiet besteht aus folgenden, räumlich voneinander getrennten Ortsteilen:
1.1 Eisenbach
1.2 Bubenbach
1.3 Oberbränd
1.4 Schollach
(2) Die Namen der in Absatz 1 bezeichneten Ortsteile werden mit dem vorangestellten Namen der Gemeinde Eisenbach (Hochschwarzwald) mit dem Wort “Ortsteil“ geführt.
(3) Die räumlichen Grenzen der einzelnen Ortsteile nach Absatz 1 sind jeweils die Gemarkungen der früheren Gemeinden gleichen Namens.
VIII. Ortschaftsverfassung
§ 10 Einrichtung von Ortschaften
In den räumlichen Grenzen des Ortsteils Schollach nach § 9 Abs. 1 wird eine Ortschaft eingerichtet. Die Ortschaft führt den Namen „Ortsteil Schollach“
§ 11 Bildung und Zusammensetzung des Ortschaftsrates
(1) In der nach § 10 eingerichteten Ortschaft wird ein Ortschaftsrat gebildet.
(2) Die Zahl der Ortschaftsräte beträgt 6 Mitglieder.
(3) Die Regelung des § 4 ist für den Ortschaftsrat analog anwendbar.
§ 12 Zuständigkeit des Ortschaftsrats
(1) Der Ortschaftsrat hat die örtliche Verwaltung zu beraten.
(2) Der Ortschaftsrat ist zu wichtigen Angelegenheiten, die die Ortschaft betreffen, zu hören und hat ein Vorschlagsrecht in allen Angelegenheiten, die die Ortschaft betreffen.
(3) Wichtige Angelegenheiten im Sinne des Absatzes 2 sind insbesondere:
3.1 die Veranschlagung der Haushaltsmittel für die die Ortschaft betreffenden Angelegenheiten,
3.2 die Bestimmung und wesentliche Änderungen der Zuständigkeiten sowie die Aufhebung der örtlichen Verwaltung in der Ortschaft,
3.3 Einstellung und Entlassung der hauptsächlich in der Ortschaft eingesetzten Gemeindebediensteten, die gerade für die Ortschaft von besonderer Bedeutung sind.
3.4 die Aufstellung, wesentliche Änderung und Aufhebung von Bauleitplänen sowie die Durchführung von Bodenordnungsmaßnahmen und städtebauliche Sanierungsmaßnahmen nach dem Baugesetzbuch,
3.5 die Planung, Errichtung, wesentliche Änderung und Aufhebung öffentlicher Einrichtungen einschließlich Gemeindestraßen.
3.6 der Erlass, die wesentliche Änderung und Aufhebung von Ortsrecht.
3.7 die Verpachtung der Gemeindejagd und des Fischwassers,
3.8 die Verwendung und die Benutzung des ehemaligen Schulgebäudes mit Ortsverwaltung,
3.9 Vermietung der Wohnung(en) im ehemaligen Schulgebäude.
(4) Dem Ortschaftsrat werden im Rahmen der im Haushaltsplan zur Verfügung gestellten Mittel folgende Angelegenheiten, soweit sie die jeweilige Ortschaft betreffen, zur Entscheidung übertragen:
4.1 die Ausgestaltung, Unterhaltung und Benutzung von öffentlichen Einrichtungen einschließlich Gemeindestraßen, soweit deren Bedeutung nicht über den Bereich der Ortschaft hinausgeht,
4.2 die Pflege des Ortsbildes und des örtlichen Brauchtums,
4.3 Angelegenheiten der Landwirtschaft einschließlich der Vatertierhaltung
4.4 die Förderung der örtlichen Vereinigungen,
4.5 die Veräußerung von beweglichem Vermögen von mehr als 2.000 Euro im Einzelfall;
(5) Soweit sich die Zuständigkeit des Ortschaftsrates nach Wertgrenzen bestimmt, beziehen sich diese auf den einheitlichen wirtschaftlichen Vorgang. Die Zerlegung eines solchen Vorgangs in mehrere Teile zur Begründung einer anderen Zuständigkeit ist nicht zulässig. Bei voraussehbar wiederkehrenden Leistungen bezieht sich die Wertgrenze auf den Jahresbetrag.
§ 13 Ortsvorsteher
(1) Der Ortsvorsteher ist Ehrenbeamter auf Zeit.
(2) Der Ortsvorsteher vertritt den Bürgermeister ständig beim Vollzug der Beschlüsse des Ortschaftsrats und bei der Leitung der örtlichen Verwaltung.
(3) Der Ortsvorsteher ist Vorsitzender des Ortschaftsrats.
§ 14 Örtliche Verwaltung
In der Ortschaft Schollach wird eine örtliche Verwaltung eingerichtet, die die Aufgabe einer Geschäftsstelle des Bürgermeisteramts wahrnimmt. Die örtliche Verwaltung führt die Bezeichnung “Gemeinde Eisenbach (Hochschwarzwald), Ortsverwaltung Schollach".
IX. Schlussbestimmungen
§ 15 Inkrafttreten
Diese Hauptsatzung tritt am Tag nach der öffentlichen Bekanntmachung in Kraft. Zum gleichen Zeitpunkt tritt die bisherige Hauptsatzung vom 1. März 1990 mit ihren Änderungen außer Kraft.
Hinweis:
Eine etwaige Verletzung von Verfahrens- oder Formvorschriften der Gemeindeordnung für Baden-Württemberg (GemO) oder von auf Grund der GemO erlassener Verfahrensvorschriften beim Zustandekommen dieser Satzung wird nach § 4 Abs. 4 GemO unbeachtlich, wenn sie nicht schriftlich oder elektronisch innerhalb eines Jahres seit der Bekanntmachung dieser Satzung gegenüber der Gemeinde/Stadt geltend gemacht worden ist; der Sachverhalt, der die Verletzung begründen soll, ist zu bezeichnen. Dies gilt nicht, wenn die Vorschriften über die Öffentlichkeit der Sitzung, die Genehmigung oder die Bekanntmachung der Satzung verletzt worden sind.
Eisenbach (Hochschwarzwald), 24. März 2021
gez.
Karlheinz Rontke,
Bürgermeister
Öffentliche Bekanntmachung des Landratsamtes Breisgau-Hochschwarzwald
Öffentliche Bekanntmachung Zusammenlegung Eisenbach
Unterlassen der Umweltverträglichkeitsprüfung
Vom 14.12.2022
Das Landratsamt Breisgau-Hochschwarzwald – untere Flurbereinigungsbehörde hat den Bau der gemeinschaftlichen und öffentlichen Anlagen durch die einfache Änderung Nr. 12 in der Zusammenlegung Eisenbach für zulässig erklärt.
Die Vorprüfung nach § 9 in Verbindung mit § 7 des Gesetzes über die Umweltverträglichkeitsprüfung (UVPG) hat ergeben, dass die Durchführung einer Umweltverträglichkeitsprüfung hier nicht erforderlich ist. Die geänderte Trassenführung und die Reduzierung der Wegeanschlüsse sowie die neu geplante Gewässerquerung haben keine erheblichen Auswirkungen auf die Schutzgüter Mensch, Wasser, Boden, Klima und Landschaftsbild sowie Tiere und Pflanzen.
Die Änderung der Trassenführung einschließlich eines neuen Durchlasses sowie die entfallenen Wegeabschnitte lösen keine Umweltverträglichkeitsprüfung aus.
Die Öffentlichkeit wird hiervon gemäß § 5 Absatz 2 UVPG unterrichtet. Diese Feststellung ist nicht selbstständig anfechtbar.
Diese Bekanntmachung kann auch auf der Internetseite des Landesamts für Geoinformation und Landentwicklung im o.g. Verfahren (www.lgl-bw.de/2822) eingesehen werden.
gez. Philipp Heberling, Projektleiter
Öffentliche Bekanntmachung - Inkrafttreten des Bebauungsplans und der örtlichen Bauvorschriften„Neue Ortsmitte“im beschleunigten Verfahren gem. § 13a BauGB (Tag der Bereitstellug: 13.12.2022)
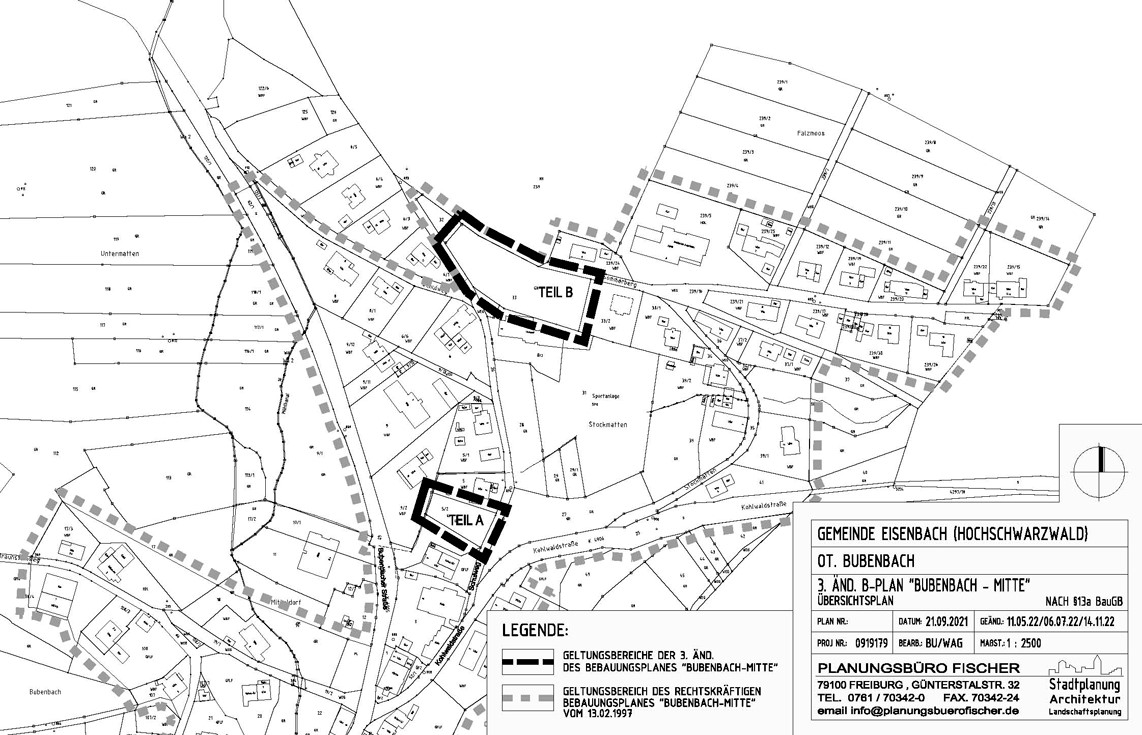
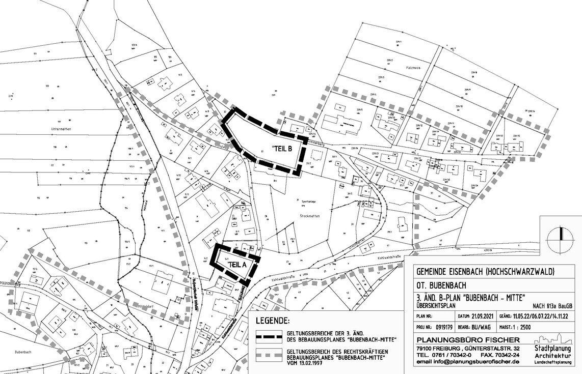
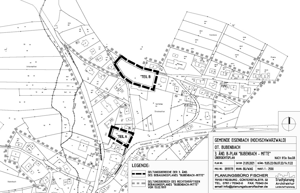
Öffentliche Auslegung des Bebauungsplanentwurfs "Bubenbach-Mitte" - Dritte Änderung gemäß § 3 Absatz 2 BauGB in Verbindung mit § 13a BauGB
Öffentliche Bekanntmachung des Bürgermeisteramts 79871 Eisenbach (Hochschwarzwald)
Öffentliche Auslegung des Bebauungsplanentwurfs "Bubenbach-Mitte" - 3. Änd. gemäß § 3 Abs. 2 BauGB in Verbindung mit § 13a BauGB
Der Gemeinderat hat in öffentlicher Sitzung am 30.11.2022 den Entwurf des oben genannten Bebauungsplans und die zugehörigen örtlichen Bauvorschriften zum Bebauungsplan im beschleunigten Verfahren nach § 13a BauGB gebilligt und dessen öffentliche Auslegung gemäß § 3 Abs. 2 BauGB beschlossen.
Der Geltungsbereich des Bebauungsplans "Bubenbach-Mitte" - 3. Änd. ist im untenstehenden Planausschnitt zeichnerisch dargestellt.
Das Planungsgebiet im Ortsteil Bubenbach umfasst zwei räumlich getrennte Bereiche im Geltungsbereich des Bebauungsplans "Bubenbach - Mitte" von 1997.
Teil A wird begrenzt im Osten durch den Schulweg, im Norden, Süden und Westen durch bebaute Grundstücke.
Teil B wird begrenzt im Westen durch eine landwirtschaftliche Fläche auf Flst.Nr. 32. Im Süden und Osten begrenzt die vorhandene Bebauung das Gebiet. Im Norden grenzt Wald bzw. das Landschaftsschutzgebiet "Hochschwarzwald" jenseits der Straße an den Bebauungsplan.
Der Entwurf des Bebauungsplans mit Örtlichen Bauvorschriften, Begründung und Umweltbelangen wird in der Zeit vom
15. Dezember bis 25. Januar 2023im Bürgermeisteramt Eisenbach (Hochschwarzwald), Zimmer 7, während der Dienststunden gemäß § 3 Abs. 2 BauGB öffentlich ausgelegt.
Von der Umweltprüfung nach § 2 Abs. 4 BauGB, von dem Umweltbericht nach § 2a BauGB und von der Angabe nach § 3 Abs. 2 Satz 2 BauGB, welche Arten umweltbezogener Informationen verfügbar sind, wird abgesehen.
| Typ | Name | Datum | Größe |
|---|---|---|---|
![]() |
2022-11-14-Begründung03 (1,4 MB) | 07.12.2022 | 1,4 MB |
![]() |
2022-11-14-Festsetzungen03 (193 KB) | 07.12.2022 | 193 KB |
![]() |
2022-11-14-Hinweise03 (164 KB) | 07.12.2022 | 164 KB |
![]() |
2022-11-14-Luftbild-Teil A-A4-M1000 (1 MB) | 07.12.2022 | 1 MB |
![]() |
2022-11-14-Luftbild-Teil B-A4-M1000 (1,1 MB) | 07.12.2022 | 1,1 MB |
![]() |
2022-11-14-Satzung04 (135 KB) | 07.12.2022 | 135 KB |
![]() |
2022-11-14-ÜPlan-M2500 (328 KB) | 07.12.2022 | 328 KB |
![]() |
2022-11-14-ZT-Gesamt-M1000 (826 KB) | 07.12.2022 | 826 KB |
![]() |
Artenschutzrechtliche Potenzialabschätzung Bubenbach Flurst. 33 (719 KB) | 07.12.2022 | 719 KB |
![]() |
Artenschutzrechtliche Potenzialabschätzung Bubenbach Flurst.5 2 (697 KB) | 07.12.2022 | 697 KB |
Während der Auslegungsfrist können beim Bürgermeisteramt Anregungen schriftlich, elektronisch oder mündlich zur Niederschrift vorgebracht werden. Nicht fristgerecht abgegebene Stellungnahmen können bei der Beschlussfassung über den Bebauungsplan unberücksichtigt bleiben.
Eisenbach (Hochschwarzwald), den 06.12.2022
gez.
Karlheinz Rontke,
Bürgermeister
Satzung der Gemeinde Eisenbach (Hochschwarzwald) über die Erhebung einer Kurtaxe (Kurtaxesatzung - KTS)
Satzung der Gemeinde Eisenbach (Hochschwarzwald) über die Erhebung einer Kurtaxe (Kurtaxesatzung - KTS)
Aufgrund von § 4 der Gemeindeordnung für Baden-Württemberg in Verbindung mit den § 2, 8 Abs. 2 und 43 des Kommunalabgabengesetzes (KAG) für Baden-Württemberg hat der Gemeinderat der Gemeinde Eisenbach (Hochschwarzwald) am 14.09.2022 die folgende Satzung beschlossen:
§ 1 Erhebung einer Kurtaxe
Die Gemeinde erhebt zur Deckung des Aufwandes für die Herstellung und Unterhaltung der zu Kur- und Erholungszwecken bereitgestellten öffentlichen Einrichtungen und für die zu diesem Zweck durchgeführten Veranstaltungen sowie für die den Kur- und Erholungsgästen eingeräumte Möglichkeit der kostenlosen Nutzung des öffentlichen Personennahverkehrs im Geltungsgebiet von KONUS eine Kurtaxe. Für die Benutzung von Einrichtungen und Veranstaltungen, die besondere Aufwendungen erfordern, kann daneben ein besonderes Eintrittsgeld erhoben werden.
§ 2 Erhebungsgebiet
Das Erhebungsgebiet ist das Gebiet der Gemeinde Eisenbach (Hochschwarzwald).
§ 3 Kurtaxepflichtige
(1) Kurtaxepflichtig sind alle Personen, die sich in der Gemeinde aufhalten, aber nicht Einwohner der Gemeinde sind (ortsfremde Personen), und denen im Sinne von § 1 die Möglichkeit zur Benutzung der Einrichtungen einschließlich der den Kur- und Erholungsgästen eingeräumten Möglichkeit der kostenlosen Nutzung des öffentlichen Personennahverkehrs im Geltungsgebiet von KONUS sowie zur Teilnahme an den Veranstaltungen geboten ist.
(2) Kurtaxepflichtig nach Abs. 1 sind auch die Einwohner der Gemeinde, die den Schwerpunkt der Lebensbeziehungen in einer anderen Gemeinde haben. Kurtaxepflichtig sind auch ortsfremde Personen, die sich aus beruflichen Gründen zur Teilnahme an Tagungen oder sonstigen Veranstaltungen in der Gemeinde aufhalten.
(3) Die Kurtaxe wird nicht von ortsfremden Personen und von Einwohnern im Sinne des Abs.
2 Satz 1 erhoben, die in der Gemeinde arbeiten oder in Ausbildung (einschließlich Schule)
stehen. Die Voraussetzungen nach Satz 1 sind vom Kurtaxepflichtigen in geeigneter Form
nachzuweisen. Für die Arbeitstätigkeit ist dabei eine schriftliche Bestätigung des Arbeitgebers, für eine Ausbildung eine schriftliche Ausbildungs‐ oder Schulbescheinigung ausreichend.
§ 4 Dauer der Kurtaxepflicht
(1) Die Kurtaxepflicht beginnt mit dem Tag der Anreise und endet mit dem Tag der Abreise.
(2) Der Tag der Ankunft und der Tag der Abreise zählen zusammen als ein Tag, wobei der Abrechnung der Tag der Abreise voll zugrunde gelegt wird.
§ 5 Kurtaxe
(1) Die Kurtaxe für Kurtaxepflichtige nach § 3 Abs. 1 beträgt für jede Person und jeden Tag inklusive der gesetzlichen Umsatzsteuer
für Kinder ab 6 Jahren und Jugendliche 1,20 €
für Personen ab 16 Jahren 1,90 €
(2) Kurtaxepflichtige nach § 3 Abs. 2 Satz 1 haben unabhängig von der Dauer und Häufigkeit des tatsächlichen Aufenthalts für jedes Kalenderjahr eine pauschale Jahreskurtaxe zu entrichten. Die pauschale Jahreskurtaxe beträgt inklusive der gesetzlichen Umsatzsteuer für Personen ab 16 Jahren 36,00 €.
In den Fällen des § 10 Abs. 2 Satz 2 ist die pauschale Jahreskurtaxe auf den der Dauer der Kurtaxepflicht entsprechenden Teilbetrag festzusetzen. Die Kurtaxepflichtigen nach Satz 1 sind von der Nutzung von KONUS ausgeschlossen.
§ 6 Ermäßigungen und Befreiungen
(1) Von der Entrichtung der Kurtaxe sind befreit:
1. Ortsfremde Personen, die sich ohne Übernachtung in der Gemeinde aufhalten (Tagesbesucher),
2. Kinder bis einschließlich 5 Jahre,
3. Besucher von Einwohnern, die in deren Haushalt unentgeltlich Aufnahme finden; als Einwohner im Sinne dieser Vorschrift gelten nicht Personen im Sinne des § 3 Abs. 2 Satz 1 und § 3 Abs. 3,
4. Kranke und schwerbehinderte Personen, die nicht in der Lage sind, die Kureinrichtungen und Veranstaltungen, sowie den öffentlichen Personennahverkehr nach § 1 zu nutzen, und dies durch ärztliches Zeugnis nachweisen, während der Dauer
dieses Zustands; der Nachweis ist der Gemeinde spätestens mit der Abreise vorzulegen,
5. Begleitpersonen von Schwerbehinderten, Blinden und Kranken, wenn die
Notwendigkeit einer Begleitperson im Schwerbehindertenausweis selbst oder durch ärztliche Bescheinigung nachgewiesen ist und die Begleitperson selbst keine zu Kur und Erholungszwecken bereitgestellten Einrichtungen benutzt oder Veranstaltungen besucht.
(2) Auf Antrag werden Personen, die sich aus beruflichen Gründen bzw. zur Teilnahme an
beruflich bedingten Tagungen oder sonstigen Veranstaltungen in der Kurgemeinde aufhalten, für die Dauer des beruflich bedingten Aufenthalts von der Kurtaxe befreit. Für die Berechnung dieser Frist gilt § 4 Abs. 2 entsprechend.
(3) Schwerbehinderte Personen mit einem nachgewiesenen Grad der Behinderung von 100 v.H. werden auf Antrag von der Kurtaxe befreit. Bei einem nachgewiesenen Grad der Behinderung von mindestens 70 v.H. wird die Kurtaxe auf Antrag um 20 v.H. ermäßigt. Diese Vergünstigung gilt ebenfalls für eine Begleitperson, sofern der Schwerbehinderte aufgrund des Schwerbehindertenausweises auf ständige Begleitung angewiesen ist.
§ 7 Anträge
Die Befreiung von der Kurtaxe oder auf Ermäßigung der Kurtaxe nach § 6 ist vom Wohnungsgeber bzw. Reiseunternehmer im Zuge der Meldung nach § 9 zu beantragen. Der Gast muss den betreffenden Vergünstigungsgrund glaubhaft machen. Der Antrag erfolgt im elektronischen Meldeverfahren, soweit der Wohnungsgeber bzw. Reiseunternehmer von der Teilnahme an diesem Verfahren nicht ausnahmsweise befreit ist. Bei verspäteten Anträgen wird die Vergünstigung erst vom Zeitpunkt des Antragseingangs gewährt.
§ 8 Gästekarte
(1) Jede Person, die der Kurtaxepflicht unterliegt und nicht nach § 6 von der Entrichtung der Kurtaxe befreit ist, hat Anspruch auf eine Gästekarte. Der zur Kurtaxe angemeldete Gast erhält eine mit Namen, Ankunftstag und voraussichtlichem Abreisetag versehene Gästekarte. Diese enthält außer in den Fällen des § 5 Abs. 2 den Hinweis „KONUS“, der zur kostenfreien Benutzung des öffentlichen Personennahverkehrs in den teilnehmenden Verkehrsverbünden im Schwarzwald berechtigt.
(2) Kurtaxepflichtige Personen im Sinne von § 5 Abs. 2 erhalten nach Eingang der durch den Abgabebescheid erhobenen pauschalen Jahreskurtaxe eine Jahresgästekarte von der Gemeinde. Die Jahresgästekarte gilt im Falle des § 5 Abs. 2 bis zur Ausstellung einer neuen Jahresgästekarte auch im nachfolgenden Kalenderjahr. Die Gästekarte wird auf den Namen des Kurtaxepflichtigen ausgestellt und ist nicht übertragbar.
(3) Die Gästekarte ist bei der Benutzung von Kureinrichtungen und beim Besuch von Veranstaltungen den Kontrollorganen unaufgefordert vorzuzeigen. Bei missbräuchlicher Benutzung wird die Gästekarte eingezogen. Die Gemeinde ist berechtigt, in
besonders begründeten Fällen die Ausgabe von Gästekarten zu verweigern und ausgegebene Gästekarten gegen Erstattung der Kosten einzuziehen.
§ 9 Melde- und Einziehungspflicht, Kontrolle, Ablösung
(1) Wohnungsgeber, die Personen gegen Entgelt beherbergen, sowie Betreiber von Campingplätzen sind unbeschadet der ihnen nach dem Bundesmeldegesetz obliegenden polizeilichen Meldepflicht verpflichtet, jeden Ortsfremden unbeschadet möglicher Befreiungen nach § 6 zur Entrichtung der Kurtaxe innerhalb von drei Tagen nach Anreise anzumelden und drei Tage nach Abreise abzumelden, die Kurtaxe einzuziehen und die vereinnahmten Kurtaxezahlungen eines Kalendermonats zum Ende des darauffolgenden Kalendermonats gesammelt an die Gemeinde abzuführen.
Wohnungsgeber nach Satz 1 haften für die rechtzeitige Einziehung und vollständige Ablieferung der Kurtaxe. Sie sind berechtigt, dem Gast die Kurtaxe in Rechnung zu stellen. Die Wohnungsgeber erhalten eine Kurtaxesatzung, die sie ihren Gästen durch Aushang an gut sichtbarer Stelle bekannt zu geben haben. Weigert sich eine kurtaxepflichtige Person, die Kurtaxe zu entrichten, hat dies der Meldepflichtige der Gemeinde unverzüglich unter Angabe von Namen und Adresse des Kurtaxepflichtigen zu melden.
(2) Abweichend von Abs. 1 sind Reiseunternehmen meldepflichtig, wenn die Kurtaxe in dem Entgelt enthalten ist, das der Reiseteilnehmer an den Reiseunternehmer zu entrichten hat. Die Meldung ist innerhalb von 3 Tagen nach der Ankunft der Reiseteilnehmer zu erstatten. Die Verpflichtung, die Kurtaxe einzuziehen und an die Gemeinde abzuführen, bleibt unberührt. Abs. 1 Satz 5 gilt entsprechend.
(3) Die Meldepflichtigen nach Abs. 1 und 2 haben für die Erhebung der Kurtaxe folgende Daten des Kurtaxenpflichtigen an die Gemeinde zu melden:
1. Name;
2. Vorname;
3. Geburtsdatum;
4. Anschrift;
5. Name, Vorname, Anschrift und Geburtsdatum der Mitreisenden gem. § 29 Absatz 2 S. 2 und 3 Bundesmeldegesetz;
6. Tag der Ankunft und voraussichtlicher Tag der Abreise sowie
7. Tag der Abreise, sobald er feststeht
8. im Falle eines Antrages nach § 6 Abs. 2 und 3 die zur Glaubhaftmachung jeweils erforderlichen Unterlagen.
(4) Für die Meldung ist das von der Gemeinde unentgeltlich bereitgestellte elektronische Meldeverfahren zu verwenden. Die Übertragung der Daten erfolgt über eine gesicherte Verbindung per https – Hypertext Transfer Protocol Secure. Die elektronisch erfassten Daten werden vom Meldepflichtigen in verschlüsselter Form und unter Wahrung der jeweils geltenden Vorgaben des Datenschutzes durch Datenfernübertragung an die Gemeinde übermittelt. Die Gemeinde stellt den Meldepflichtigen die zur elektronischen Meldung erforderlichen individuellen Zugangsdaten zur Verfügung.
(5) Auf Antrag kann die Gemeinde zur Vermeidung unbilliger Härten auf eine Übermittlung der Meldung durch Datenfernübertragung verzichten und einzelne Meldepflichtige von dieser Nutzungspflicht befreien. Eine unbillige Härte liegt immer dann vor, wenn eine elektronische Meldung für den Meldepflichtigen wirtschaftlich oder persönlich unzumutbar ist. Dies ist insbesondere dann der Fall, wenn die Schaffung der technischen Möglichkeiten für eine Datenfernübertragung der Meldung nicht oder nur mit einem nicht unerheblichen finanziellen Aufwand möglich wäre oder wenn der Meldepflichtige nach seinen individuellen Kenntnissen und Fähigkeiten nicht oder nur eingeschränkt in der Lage ist, die Möglichkeiten der Datenfernübertragung zu nutzen. Bei der Meldung sind die von der Gemeinde bereitgestellten Vordrucke zu verwenden.
(6) Kurtaxepflichtige Ortsfremde, die ohne Entgelt beherbergt werden, sind persönlich zur Kurtaxe-Anmeldung verpflichtet. Die Anmeldung hat innerhalb von drei Tagen nach Ankunft bei der Gemeinde zu erfolgen. Hierbei ist die Kurtaxe für die voraussichtliche Dauer des Aufenthaltes im Voraus zu entrichten.
(7) Kurtaxepflichtige Personen im Sinne von § 3 Abs. 2 Satz 1 haben sich innerhalb eines Monats nach Vorliegen oder Beendigung der die Kurtaxepflicht auslösenden Voraussetzungen bei der Gemeinde an- und abzumelden.
(8) Soweit gleichzeitig eine Meldepflicht nach dem Bundesmeldegesetz zu erfüllen ist, kann damit die Meldepflicht i.S. der Kurtaxesatzung verbunden werden.
(9) Die Gemeinde ist berechtigt, die Einhaltung der dem Wohnungsgeber nach dieser Kurtaxesatzung obliegenden Pflichten in den Betriebsräumen während der üblichen Geschäftsstunden durch einen Beauftragten nachprüfen zu lassen.
§ 10 Entstehung und Fälligkeit der Kurtaxe
(1) Die Kurtaxepflicht entsteht mit der ersten Übernachtung einer kurtaxepflichtigen Person im Erhebungsgebiet (§ 2). Sie wird am letzten Aufenthaltstag in der Gemeinde, spätestens jedoch zum jeweiligen Kalendermonatsende zur Zahlung fällig.
(2) Die Verpflichtung zur Zahlung der pauschalen Jahreskurtaxe nach § 5 Abs. 2 entsteht am Januar eines jeden Kalenderjahres und wird innerhalb eines Monats nach Zustellung des Kurtaxebescheids zur Zahlung fällig. Bei neu zuziehenden Einwohnern entsteht sie am 1. Tag des folgenden Kalendervierteljahres; bei wegziehenden Einwohnern endet sie mit Ablauf des Kalendervierteljahres.
§ 11 Ordnungswidrigkeiten
Ordnungswidrig im Sinne von § 8 Abs. 2 Satz 1 Nr. 2 des Kommunalabgabengesetzes handelt, wer vorsätzlich oder leichtfertig
- den Meldepflichten nach § 9 dieser Satzung nicht nachkommt
- die Kurtaxe von den kurtaxepflichtigen Personen nicht oder nicht rechtzeitig nach § 9 dieser Satzung einzieht und an die Stadt abführt
- der Mitteilungspflicht nach § 9 Abs. 1 Satz 7 und § 9 Abs. 2 Satz 4 nicht oder nicht rechtzeitig nachkommt.
§ 12 Inkrafttreten
Diese Satzung tritt am 01.01.2023 in Kraft. Gleichzeitig tritt die Kurtaxesatzung vom 02.07.2009 mit ihren Änderungen außer Kraft.
Eisenbach (Hochschwarzwald), den 14. September 2022
gez.
Karlheinz Rontke,
Bürgermeister
Hinweis:
Eine etwaige Verletzung von Verfahrens- oder Formvorschriften der Gemeindeordnung für Baden-Württemberg oder aufgrund der Gemeindeordnung beim Zustandekommen dieser Satzung wird nach § 4 Abs. 4 der Gemeindeordnung unbeachtlich, wenn sie nicht schriftlich innerhalb eines Jahres seit der Bekanntmachung dieser Satzung gegenüber der Gemeinde geltend gemacht worden ist. Der Sachverhalt, der die Verletzung begründen soll, ist zu bezeichnen. Dies gilt nicht, wenn die Vorschriften über die Öffentlichkeit der Sitzung, die Genehmigung oder die Bekanntmachung dieser Satzung verletzt worden sind.
Öffentliche Bekanntmachung des Gutachterausschusses Breisgau-Nord Hochschwarzwald
Öffentliche Bekanntmachung des Gutachterausschusses Breisgau-Nord Hochschwarzwald
Nach § 193 Abs. 5 und § 196 Baugesetzbuch (BauGB) in der geltenden Fassung i.V.m. dem § 12 der Gutachterausschussverordnung Baden-Württemberg vom 11.Dezember 1989 in der Fassung vom 26.September 2017 zuletzt geändert durch Verordnung am 21.Dezember 2021 und § 5c der Bodenrichtwertleitlinie 2022 der Finanzverwaltung wurden vom Gutachterausschuss Breisgau-Nord Hochschwarzwald folgende zonalen Bodenrichtwerte/ Bodenrichtwertgrundstücke für Grundstücke im Gebiet des Gutachterausschusses Breisgau-Nord Hochschwarzwald zum Stichtag 01.Januar 2022 ermittelt.
Bodenrichtwerte vom 01.01.2022
Anlass der Bodenrichtwertermittlung zum 01.01.2022 ist die Grundsteuerreform. Die Bodenrichtwerte werden für die Hauptfeststellung zum 01.01.2022 für die Grundsteuererhebung ab dem Jahr 2025 benötigt.
Die vom Gutachterausschuss abgeleiteten zonalen Bodenrichtwerte für baureifes Land wurden entsprechend den Bestimmungen des § 196 Abs.1 Baugesetzbuch (BauGB), der Richtlinie zur Ermittlung von Bodenrichtwerten (BRW-RL vom 11. Februar 2011), der Gutachterausschussverordnung für Baden-Württemberg und der Immobilienwertermittlungs-verordnung ermittelt.
Die zonalen Bodenrichtwertangaben in Euro/m² für baureifes Land der Wohngebiete (W), Mischgebiete (M), Gewerbe- und Industriegebiete (GE / GI) und Sondergebiet (SO) enthalten die Erschließungskosten (ebf). Hierbei ist berücksichtigt, dass sich die Erschließungskosten örtlich sehr unterschiedlich darstellen. Die in den Bodenrichtwertkarten mit „W“ bezeichneten Bodenrichtwerte beziehen sich sowohl auf baureife Wohngebiete als auch auf baureife Mischgebiete, sofern die Mischgebiete nicht separat ausgewiesen sind.
Die zonalen Bodenrichtwertgrundstücke geben in Kurzform den Bodenwert eines baureifen Grundstückes innerhalb der jeweiligen Bodenrichtwertzone mit der Art der baulichen Nutzung (W / M / GE / GI / SO) und der im Regelfall in der Örtlichkeit vorhandenen Bebauung bezogen auf die Geschossigkeit (I-, II-, III-, IV-geschossig) an. Die Ausweisung „bebaute Flächen im Außenbereich“ bezieht sich auf bebaute Wohnbaugrundstücke, die planungsrechtlich im Außenbereich liegen.
Hinweis: Die zonalen Bodenrichtwerte beziehen sich nicht auf Grundstücke, die aufgrund von Sonderregelungen durch die aktive Baulandpolitik der Gemeinden oder durch Bauträger/private Bauherrengemeinschaften beeinflusst werden!
Entsprechend den gesetzlichen Vorgaben des § 15ff Immobilienwertermittlungsverordnung (ImmowertV) 2021 und den Bodenrichtwertleitlinien 2022 der Finanzverwaltung kann der Bodenwert eines Grundstückes um bis zu +/- 30 % des ermittelnden Bodenrichtwertes abweichen.
Die Bodenrichtwert – Zonenbildung der baureifen Wohn-, Misch-, Gewerbe-, Industrie- und Sondergebiete erfolgte aus den jeweiligen Flächennutzungsplänen, teils aus den Bebauungsplänen und städtebaulichen Satzungen, sowie aus Luftbildern und sachverständigem Ermessen nach Besichtigungen vor Ort. Die Abgrenzung erfolgte möglichst flurstücksgenau.
Hinweis: Die Abgrenzung der Bodenrichtwertzonen sowie die Festsetzung der Höhe der Bodenrichtwerte und der Beschreibung der Bodenrichtwertgrundstücke begründen keine Ansprüche zum Beispiel gegenüber den Trägern der Bauleitplanung, Baugenehmigungsbehörden oder Landwirtschaftsbehörden.
Einzelfallbezogene Grundstücksbesonderheiten:
Die zonalen Bodenrichtwerte sind bezogen auf den Quadratmeter Grundstücksfläche eines Grundstückes mit den dargestellten Grundstücksmerkmalen (Bodenrichtwertgrundstücke). Da die zonalen Bodenrichtwerte nur durchschnittliche Lagewerte des Bodens für eine Mehrheit von Grundstücken innerhalb eines abgegrenzten Gebietes (Bodenrichtwertzone) mit im Wesentlichen gleichen Nutzungs- und Wertverhältnissen darstellen, kann der Bodenwert eines einzelnen Grundstückes je nach Beschaffenheit (Lage, Zuschnitt, Größe, bauliche Ausnutzbarkeit, Erschließungszustand, Zuwegung, eventuell vorhandene bauplanungs-rechtliche Festsetzungen, geologische Baugrundsituationen, geogene Belastungen, Altlasten, Denkmalschutz, Hochwassergefahrengebiete, Grundwasserverhältnisse, Bewirtschaftbarkeit, besondere geografische und topografische Gegebenheiten oder Ähnlichem) in der Regel um 30 % nach oben oder unten abweichen. Der Bodenwert des einzelnen Grundstückes ist im Bedarfsfall durch ein gebührenpflichtiges Verkehrswertgutachten zu ermitteln.
Die zonalen Bodenrichtwerte sind, soweit vorhanden, von unbebauten Baugrundstücken und nach Erfahrungen auf dem öffentlichen Grundstücksmarkt als Bodenpreise abgeleitet, wie sie sich ohne Berücksichtigung ungewöhnlicher oder persönlicher Verhältnisse ergeben. Sie beziehen sich auf unbebaute Grundstücke mit den gebietstypischen Eigenschaften der jeweiligen Bodenrichtwertzonen. Bei bebauten Grundstücken ist der Bodenrichtwert ermittelt worden, der sich ergeben würde, wenn der Boden unbebaut wäre. Die zonalen Bodenrichtwerte enthalten keine Wertanteile für Gebäude, Aufwuchs (ausgenommen hiervon sind als Weingarten/Rebland und forstwirtschaftlich genutzte Grundstücke), bauliche und sonstige Anlagen. Die zonalen Bodenrichtwerte beziehen sich auf einen unbedenklichen Zustand des Grund und Bodens (z.B. hinsichtlich geologische Baugrundsituationen, geogene Belastungen, Altlasten, Denkmalschutz, Hochwassergefahrengebiete, Grundwasserverhältnisse oder Ähnlichem).
In den einzelnen Gemeinden ist zu beachten, dass vor Ort sehr unterschiedliche Erschließungssituationen (Wasser, Abwasser, Straßen-/Wegezufahrten, etc) bestehen können. Bezogen auf den Einzelfall sind diese besonderen Gegebenheiten in der Verkehrswertermittlung zu berücksichtigen.
Land- und forstwirtschaftliche Hofstellen und Wohnbebauung im Außenbereich:
Die Bodenrichtwerte bei als Weingarten/Rebland und forstwirtschaftlich genutzten Grundstücken beinhalten den Aufwuchs (Bodenwertanteil mit Aufwuchs).
Bebaute land- und forstwirtschaftlich genutzte Hofstellen können abweichende Bodenwerte haben. Da diese oftmals eine sehr große Fläche aufweisen, kann bei der Ermittlung des Bodenwertes für die zur Wohnnutzung dienenden Grundstücksflächen als Flächengröße, nach den Bodenrichtwertleitlinien 2022 der Finanzverwaltung, in der Regel bis zum 5-fachen der überbauten Wohnbaufläche (z.B. Wohnhaus, Leibgeding, Ferienhaus) angenommen werden. In der Regel wird hier nicht die gesamte land- oder forstwirtschaftliche Hofstelle zur Ermittlung des Bodenrichtwertes angesetzt. Dieses gilt im Bedarfsfall auch für sonstige übergroße Grundstücke mit Wohnbebauung im Außenbereich. Diese Bodenwerte können im Bedarfsfall durch eine gebührenpflichtige Bodenwertermittlung des Gutachterausschusses festgestellt werden.
Land- und forstwirtschaftlich genutzte Flächen in der Nähe von bebauten Ortsrandlagen und für öffentliche Straßen- / Wegebaumaßnahmen (oder sonstige Sonderbaumaßnahmen) können vereinzelt auch höhere Kaufpreise aufweisen.
Sonderbauflächen, Bauerwartungsland, Rohbauland:
Aufgrund den besonderen rechtlichen Gegebenheiten sowie den tatsächlichen oder künftigen Nutzungsverhältnissen unterschiedlichster Art hat der Gutachterausschuss keine Bodenrichtwerte für baureife Sonderbauflächen des Gemeinbedarfs und für werdendes Bauland (Bauerwartungsland, Rohbauland) ermittelt (z.B. insbesondere wegen den unsicheren Entwicklungszeiten zu baureifem Land). Die Bodenwerte für derartige Bauflächen können im Bedarfsfall nur durch gebührenpflichtige Verkehrswertgutachten ermittelt werden.
Hinweise:
Die zonalen Bodenrichtwerte haben keine bindende Wirkung.
Die der zonalen Bodenrichtwerttabelle beigefügten Bodenrichtwertzonen-Übersichtskarten der Mitgliedsgemeinden sind Bestandteil der Bodenrichtwertermittlungen und sollten bei Bedarf bei der Bodenrichtwertzuordnung eingesehen werden.
Die zonalen Bodenrichtwerte und die Bodenrichtwertzonen-Übersichtskarten liegen in der Geschäftsstelle des Gutachterausschusses Breisgau-Nord Hochschwarzwald, Hauptstraße 24, 79199 Kirchzarten zur Einsichtnahme während der üblichen Öffnungszeiten aus, bzw. sind im Internet unter www.gutachterausschuss-bnh.de und www.grundsteuer-bw.de kostenfrei abrufbar.
Kirchzarten, den 14. Juni 2022
gez.
Werner Widmann
Vorsitzender des Gutachterausschusses
Bekanntmachung Feststellungserklärung für die Grundsteuer-Hauptfeststellung
Gutachterausschuss Breisgau-Nord - Hochschwarzwald
Grundsteuerreform
Informationen und Handlungsempfehlungen für Grundstückseigentümer
Die Reform der Grundsteuer wurde aufgrund einer Entscheidung des Bundesverfassungsgerichtes notwendig. Deshalb wurde im November 2020 das „neue“ Grundsteuergesetz des Bundeslandes Baden-Württemberg erlassen. Die Umsetzung erfordert jedoch die Mitwirkung der betroffenen Bürger.
Bis zum 31. Oktober 2022 müssen die Steuerpflichtigen ihre sogenannte „Feststellungserklärung“ für die Grundsteuer-Hauptfeststellung zum 1. Januar 2022 bei ihrem zuständigen Finanzamt per ELSTER abgeben. Dies ist jedoch frühestens ab dem 1. Juli diesen Jahres möglich. Derzeit müssen die Betroffenen noch nichts unternehmen, auch eine Kontaktaufnahme mit dem gemeinsamen Gutachterausschuss „Breisgau-Nord Hochschwarzwald“ bei der Gemeinde Kirchzarten ist aktuell nicht nötig und führt auch zu keinem Ergebnis. Die für die Feststellungserklärung benötigten Bodenrichtwerte stehen nicht vor Ende Juni 2022 zur Verfügung.
Ab Juli 2022 werden auf der Internetseite www.grundsteuer-bw.de weitere Informationen und erforderliche Daten zur Abgabe der Feststellungserklärung zu finden sein. Auf die Bodenrichtwerte der jeweiligen Kommunen kann hierüber dann voraussichtlich ebenfalls zugegriffen werden. Darüber hinaus gibt es bereits jetzt auf der Webseite des Finanzministeriums ein umfassendes FAQ mit Antworten auf häufig gestellte Fragen rund um die Grundsteuerreform sowie ein kurzes Erklärvideo für Eigentümerinnen und Eigentümer. In Ergänzung dazu können allgemeine Fragen dem virtuellen Assistenten der Steuerverwaltung unter www.steuerchatbot.de gestellt werden.
Öffentliche Bekanntmachung Gutachterausschussgebührensatzung
S A T Z U N G
über die Erhebung von Gebühren für die Tätigkeit des gemeinsamen Gutachterausschusses „Breisgau Nord - Hochschwarzwald“ bei der Gemeinde Kirchzarten und seiner Geschäftsstelle(Gutachterausschussgebührensatzung)
Aufgrund des § 4 der Gemeindeordnung für Baden-Württemberg (GemO) in Verbindung mit den §§ 2, 11 und 12 des Kommunalabgabengesetzes (KAG) jeweils in der derzeit gültigen Fassung hat der Gemeinderat der Gemeinde Kirchzarten in seiner Sitzung am 17. März 2022 folgende Satzung beschlossen:
§ 1 Gebührenpflicht
- Die Gemeinde Kirchzarten erhebt Gebühren für die Erstattung von Gutachten durch den gemeinsamen Gutachterausschuss „Breisgau Nord - Hochschwarzwald“ bei der Gemeinde Kirchzarten (im Folgenden Gemeinsamer Gutachterausschuss) gemäß 192 ff. Baugesetzbuch (BauGB) und für Leistungen der Geschäftsstelle des Gutachterausschusses nach Maßgabe dieser Satzung.
- Diese Satzung gilt nicht für Gutachten des Gemeinsamen Gutachterausschusses und Tätigkeiten der Geschäftsstelle, die einem Gericht oder einem Staatsanwalt zu Beweiszwecken erbracht werden. In diesen Fällen bemisst sich die Entschädigung des Gemeinsamen Gutachterausschusses nach den Vorschriften des Justizvergütungs- und -entschädigungsgesetzes (JVEG).
- Die Gemeinde Kirchzarten kann Dritte beauftragen, die Gebühren nach dieser Satzung zu berechnen, Bescheide auszufertigen und zu versenden, die Gebühren entgegenzunehmen und abzuführen, Nachweise darüber für die Gemeinde Kirchzarten zu führen sowie die erforderlichen Daten zu verarbeiten und die verarbeiteten Daten der Gemeinde Kirchzarten mitzuteilen.
§ 2 Gebührenschuldner, Haftung
- Gebührenschuldner ist, wer die Erstattung des Gutachtens veranlasst oder in wessen Interesse sie vorgenommen wird.
- Mehrere Gebührenschuldner haften als Gesamtschuldner.
- Neben dem Gebührenschuldner haftet, wer die Gebührenschuld durch schriftliche Erklärung gegenüber der Geschäftsstelle des Gemeinsamen Gutachterausschuss übernommen hat; dies gilt auch für denjenigen, der für die Gebührenschuld eines anderen kraft Gesetzes haftet.
§ 3 Gebührenmaßstab
- Die Gebühren werden nach dem ermittelten Verkehrswert/Wert des Grundstücks, des grundstücksgleichen oder sonstigen Rechts bzw. der baulichen oder sonstigen Anlagen erhoben. Maßgebend ist der Verkehrswert nach Abschluss der Wertermittlung. Für Grundstücke ohne Verkehrswert ist der ermittelte Wert für die Gebührenbemessung maßgebend.
- Als Grundstück im Sinne dieser Satzung gilt die wirtschaftliche Einheit, nicht das Grundstück im Sinne der Grundbuchordnung (GO). Als Grundstücke gelten auch die grundstücksgleichen Rechte (Wohnungs-/Teileigentum, Erbbaurecht etc.).
- Für jeden ermittelten Verkehrswert eines Grundstücks wird die Gebühr – mit Ausnahmen der Absätze (4) bis (7) – gesondert berechnet.
- Liegen mehrere gleichartige, unbebaute, land- und/oder forstwirtschaftlich genutzte Grundstücke nebeneinander und bilden diese eine wirtschaftliche Einheit, wird die Gebühr aus der Summe der Verkehrswerte dieser Grundstücke berechnet.
- Werden für ein Grundstück mehrere Einzelwerte festgelegt, so wird die Gebühr aus der Summe der Einzelwerte berechnet.
- Sind im Rahmen einer Wertermittlung mehrere Sachen und/oder Rechte, die sich auf ein Grundstück oder ein grundstücksgleiches Recht beziehen, zu bewerten, so ist die Gebühr aus der Summe der maßgeblichen Werte der einzelnen Gegenstände (Sachen und/oder Rechte) zu berechnen. Gleiches gilt, wenn Wertunterschiede auf der Grundlage unterschiedlicher Grundstückseigenschaften zu ermitteln sind. Wertermittlungen mehrerer Eigentumswohnungen auf einem Grundstück oder gleichartiger unbebauter Grundstücke gelten hier als eine Wertermittlung, sofern alle Objekte in einem Verkehrswertgutachten zu einem Stichtag bewertet werden.
- Sind Wertermittlungen für Sachen und/oder Rechte zu unterschiedlichen Stichtagen durchzuführen, so wird für jeden Stichtag eine Gebühr berechnet. Für den höchsten Verkehrswert nach Absatz1 wird die volle Gebühr erhoben. Für alle anderen Verkehrswerte wird der halbe Wert nach Absatz 1 zu Grunde gelegt.
- Wird der Wert eines (ideellen) Miteigentumsanteils ermittelt, der nicht mit Sondereigentum nach dem Wohnungseigentumsgesetz (WEG) verbunden ist, so wird die Gebühr aus dem Wert des gesamten Grundstücks berechnet.
- Bei Gutachten über die Ermittlung sanierungsbedingter Bodenwerterhöhungen (§ 154 Abs. 2 BauGB) wird die Gebühr aus dem ermittelten Neuordnungswert des gesamten Grundstücks berechnet.
- Bei Wertermittlungen für Baulandumlegungsverfahren auf Antrag der Umlegungsstelle bildet der Wert der Verteilungsmasse die Bemessungsgrundlage für die Gebührenfestsetzung.
- Für die Ermittlung besonderer Bodenrichtwerte (§ 196 Abs. 1 Satz 7 BauGB) werden Gebühren analog zum JVEG erhoben.
- Veranlasst der Antragsteller den Gemeinsamen Gutachterausschuss oder dessen Geschäftsstelle nach Abschluss der Wertermittlung zu einer Erörterung von seinen Gegenvorstellungen ohne Auswirkungen auf die Wertaussage des Gutachtens, werden hierfür Gebühren für die Geschäftsstelle des Gutachterausschusses je Zeiteinheit entsprechend § 9 dieser Satzung und für die Entschädigung der Gutachter Gebühren entsprechend dem JVEG erhoben. Für die Teilnahme an Ortsterminen wird Fahrtkostenersatz analog dem JVEG erhoben.
- Soweit die Leistungen nach dieser Satzung umsatzsteuerpflichtig sind, ist in der Gebühr die Umsatzsteuer in der jeweiligen gesetzlichen Höhe enthalten.
§ 4 Ermäßigte Gebühr
- Ist dasselbe Grundstück, dasselbe Recht bzw. dieselbe Anlage innerhalb von drei Jahren erneut zu bewerten, ohne dass sich die tatsächlichen und rechtlichen Verhältnisse geändert haben, so ermäßigt sich die Gebühr um 30%.
- Für Umrechnungen und Wertfortschreibungen ohne erneute Bewertung durch den Gutachterausschuss beträgt die Gebühr 30% der nach dem fortgeschriebenen oder umgerechneten Wert zu erhebenden vollen Gebühr nach § 6 Abs. 2.
§ 5 Erhöhte Gebühr
Die Gebühr kann sich um bis zu 100% erhöhen, wenn das Gutachten auf Antrag des Antragstellers entsprechend § 6 Abs. 3 Gutachterausschussverordnung unter besonderer Würdigung der Vergleichspreise und Darlegung der angewandten Methoden auszuarbeiten ist oder wenn die Wertermittlung besonderen zusätzlichen Aufwand erfordert, wie z.B.:
- erschwerte Beschaffung von Unterlagen;
- umfangreiche und / oder zeitaufwändige Teilnahme an Besprechungen bzw. Beratungen;
- Erstellung von örtlichen Aufmassen und Berechnungen bei nicht Vorliegen von entsprechenden Unterlagen;
- weitläufige oder erschwerte Zufahrt und Begehung;
- Bewertung von besonderen rechtlichen und tatsächlichen Situationsmerkmalen;
- Ermittlung von Abbruchkosten;
- Bewertung von Rechten und Belastungen;
- Beachtung und / oder Berücksichtigung von sonstigen außergewöhnlichen Ertragsverhältnissen, z.B. Staffelmieten;
- Berücksichtigung von Entschädigungsgesichtspunkten;
- sonstige spezielle Berechnungsverfahren bei bebauten Grundstücken, z.B. Liquidations- / Residualverfahren oder sonstige spezielle Berechnungsverfahren;
- zurückliegender Stichtag für die Wertermittlung unter Berücksichtigung von historischen, rechtlichen und tatsächlichen Zustandsmerkmalen;
- erschwerte Wertermittlungen wegen fehlenden Vergleichspreisen oder Vergleichsfällen aus der Kaufpreissammlung;
- erhöhtes Studium von Fachliteratur und Rechtsprechung;
- Mehraufwand in den Erläuterungen und redaktionellen Darstellungen der Wertermittlungsgrundlagen bzw. Wertableitungen auch im Hinblick auf eine gute Nachvollziehbarkeit der für die Wertermittlung wertrelevanten Daten und der Wertermittlungsergebnisse
- wenn vom Antragsteller ein zusätzliches Wertermittlungsverfahren verlangt wird (zusätzliche Ermittlung des Sach-, Ertrags- oder Vergleichwertes) soweit dies möglich ist
- Bei zusätzlicher schriftlicher Begründung oder Ausarbeitung auf Verlangen des Antragsteller
- Zusätzlicher Ortstermin
- Wenn der Antragsteller während der Bearbeitung des Gutachtens den Gutachtenauftrag (z.B. Änderung des Wertermittlungsstichtages, Änderung des Wertermittlungsgegenstandes) ändert.
§ 6 Gebührenhöhe
- Bei der Wertermittlung von Sachen und Rechten beträgt die Gebühr bei einem Wert
| Wertgruppe | Gebühr | zzgl. Zuschlagssatz | ||
|---|---|---|---|---|
| von | bis | in % | aus dem Betrag über | |
| 25.000,00 € | 321,00 | |||
| 25.000,01 € | 50.000,00 € | 428,00 | 0,5 | 25.000,00 € |
| 50.000,01 € | 100.000,00 € | 616,00 € | 0,4 | 50.000,00 € |
| 100.000,01 € | 250.000,00 € | 1.018,00 € | 0,25 | 100.000,00 € |
| 25.000,01 € | 500.000,00 € | 1.478,00 € | 0,13 | 250.000,00 € |
| 500.000,01 € | 750.000,00 € | 1.928,00 € | 0,12 | 500.000,00 € |
| 750.000,01 € | 1.000.000,00 € | 2.282,00 € | 0,09 | 750.000,00 € |
| 1.000.000,01 € | 1.500.000,00 € | 2.571,00 € | 0,08 | 1.000.000,00 € |
| 1.500.000,01 € | 2.000.000,00 € | 3.053,00 € | 0,07 | 1.500.000,00 € |
| 2.000.000,01 € | 5.000.000,00 € | 3.536,00 € | 0,06 | 2.000.000,00 € |
| 5.000.000,01 | 5.464,00 € | 0,04 | 5.000.000,00 € |
- Bei der Wertermittlung von Sachen und Rechten beträgt die Gebühr bei einem Wert
- Für die Erstattung von Gutachten nach § 5 Abs. 2 des Bundeskleingartengesetzes (BKleingG), ortsübliche Pacht, werden Gebühren für die Geschäftsstelle des Gutachterausschusses je Zeiteinheit entsprechend § 9 dieser Satzung und für die Entschädigung der Gutachter Gebühren entsprechend dem JVEG erhoben. Für die Teilnahme an Ortsterminen wird Fahrtkostenersatz analog dem JVEG erhoben. Die Mindestgebühr beträgt 321,00€.
- Für Auskünfte zum Bodenrichtwert bzw. Bodenwert (§ 196 Abs. 3 BauGB) beträgt die Gebühr 27,00 € pro Wert.
- Für Auskünfte aus der Kaufpreissammlung (§ 195 Abs. 3 BauGB und § 13 der Gutachterausschussverordnung) beträgt die Gebühr 52,90 € pro Wert.
- In der Gebühr sind bei der Erstattung von Gutachten durch den Gemeinsamen Gutachterausschuss zwei Ausfertigungen des Gutachtens enthalten. Ist der Antragsteller nicht Eigentümer, so erhalten Antragsteller und Eigentümer je eine Ausfertigung. Für jede weitere Ausfertigung bzw. jeden weiteren Auszug werden Gebühren für die Geschäftsstelle des Gutachterausschusses je Zeiteinheit entsprechend § 9 dieser Satzung erhoben.
§ 7 Rücknahme, Ablehnung eines Antrags
- Wird ein Antrag auf Erstellung eines Gutachtens zurückgenommen, bevor der Gutachterausschuss einen Beschluss über den Wert des Gegenstandes gefasst hat, so wird eine Gebühr nach dem Bearbeitungsstand von bis zu 100 % der vollen Gebühr des geschätzten Wertes erhoben. Wird ein Antrag erst nach dem Beschluss zurückgenommen, so entsteht die volle Gebühr.
- Wird ein Antrag auf Erstattung eines Gutachtens durch den Gemeinsamen Gutachterausschuss abgelehnt, so wird die Gebühr nach dem insoweit entstandenen Bearbeitungsaufwand für die Geschäftsstelle des Gutachterausschusses je Zeiteinheit entsprechend § 9 dieser Satzung und für die Entschädigung der Gutachter entsprechend dem JVEG erhoben. Für die Teilnahme an Ortsterminen wird Fahrtkostenersatz analog dem JVEG erhoben.
§ 8 Besondere Sachverständige, erhöhte Auslagen
- Werden mit Zustimmung des Antragstellers besondere Sachverständige bei der Wertermittlung zugezogen(z.B. Sachverständige für Altlasten o.ä.), so hat der Gebührenschuldner die hierdurch entstehenden Auslagen neben den Gebühren nach dieser Satzung zu entrichten.
- Entstandene Auslagen (z.B. Auszüge aus dem Liegenschaftskataster, Grundbuchauszüge, o.ä.) sind neben der Gebühr zu erstatten.
- Soweit die sonstigen Auslagen das übliche Maß übersteigen, sind sie neben der Gebühr zu ersetzen.
- Für die Erstattung von Auslagen sind die für die Gebühren geltenden Vorschriften entsprechend anzuwenden.
§ 9 Gebühren für sonstige Leistungen des Gemeinsamen Gutachterausschusses und seiner Geschäftsstelle
- Für sonstige Leistungen, soweit sie nicht in dieser Satzung ausdrücklich aufgeführt sind, werden Gebühren nach Zeitaufwand erhoben. Bei der Gemeinde Kirchzarten beträgt eine Zeiteinheit (ZE) 15 Minuten.
- Die allgemeine Verwaltungsgebühr für die Tätigkeit des Gemeinsamen Gutachterausschusses und/oder seiner Geschäftsstelle beträgt 17,60€/Zeiteinheit.
§ 10 Entstehung und Fälligkeit
- Die Gebühr entsteht mit der Beendigung der Wertermittlung durch den Beschluss des Gemeinsamen Gutachterausschusses. Bei Zurücknahme des Antrags nach § 7 entsteht die Gebühr mit dem Eingang der Rücknahmeerklärung bei der Geschäftsstelle des Gemeinsamen Gutachterausschusses. Bei Ablehnung eines Antrags nach § 7 entsteht die Gebühr mit der entsprechenden Entscheidung der Geschäftsstelle des Gutachterausschusses.
- Die Gebühr wird einen Monat nach Bekanntgabe des Gebührenbescheides an den Gebührenschuldner fällig
§ 11 Vorauszahlung, Sicherheitsleistung
- Die Erstattung eines Gutachtens kann davon abhängig gemacht werden, dass die Gebühr ganz oder teilweise vorausgezahlt oder für sie Sicherheit geleistet wird.
- Für Leistungen, die vor Inkrafttreten dieser Satzung für den Gemeinsamen Gutachterausschuss bei den zuvor zuständigen Geschäftsstellen der Gutachterausschüsse der abgebenden Städte/Gemeinden oder ihrer Zusammenschlüsse (z.B. Gemeinde Gundelfingen) beantragt und noch nicht fertiggestellt wurden, entstehen Gebühren auf der Grundlage dieser Gutachterausschussgebührensatzung des gemeinsamen Gutachterausschusses „Breisgau Nord - Hochschwarzwald“ bei der Gemeinde Kirchzarten.
§ 12 Übergangsbestimmungen
- Die bisher bei den Geschäftsstellen der Gutachterausschüsse der abgebenden Städte/Gemeinden oder ihrer Zusammenschlüsse (z.B. Gemeinde Gundelfingen) beantragten und noch nicht fertig gestellten Verkehrswertgutachten gehen auf den Gemeinsamen Gutachterausschuss über.
- Für Leistungen, die vor Inkrafttreten dieser Satzung für den Gemeinsamen Gutachterausschuss bei den zuvor zuständigen Geschäftsstellen der Gutachterausschüsse der abgebenden Städte/Gemeinden oder ihrer Zusammenschlüsse (z.B. Gemeinde Gundelfingen) beantragt und noch nicht fertiggestellt wurden, entstehen Gebühren auf der Grundlage dieser Gutachterausschussgebührensatzung des gemeinsamen Gutachterausschusses „Breisgau Nord - Hochschwarzwald“ bei der Gemeinde Kirchzarten.
§ 13 Inkrafttreten
Die Satzung tritt rückwirkend zum 02. Dezember 2021 in Kraft.
Ausgefertigt:
Kirchzarten, den 18. März 2022
Gez. Andreas Hall, Bürgermeister
Hinweis:
Eine etwaige Verletzung von Verfahrens- oder Formvorschriften der Gemeindeordnung für Baden-Württemberg (GemO) oder aufgrund der GemO beim Zustandekommen dieser Satzung wird nach § 4 Abs. 4 GemO unbeachtlich, wenn sie nicht schriftlich oder elektronisch innerhalb eines Jahres seit der Bekanntmachung dieser Satzung gegenüber der Stadt/Gemeinde geltend gemacht worden ist; der Sachverhalt, der die Verletzung begründen soll, ist zu bezeichnen. Dies gilt nicht, wenn die Vorschriften über die Öffentlichkeit der Sitzung, die Genehmigung oder die Bekanntmachung der Satzung verletzt worden sind.
Satzung zur Änderung der Satzung über die Erhebung einer Hundesteuer (Hundesteuersatzung)
Satzung
zur Änderung der Satzung über die Erhebung einer Hundesteuer (Hundesteuersatzung) vom 17. November 2021
Aufgrund von § 4 der Gemeindeordnung für Baden-Württemberg in Verbindung mit §§ 2,8 und 9 des Kommunalabgabengesetzes für Baden-Württemberg hat der Gemeinderat am 17. November 2021 folgende Satzung beschlossen:
§ 1
§ 5 – Steuersatz – erhält folgende Fassung:
- Die Steuer beträgt im Kalenderjahr für einen Hund 90,- €. Für das Halten eines Kampfhundes gem. Abs. 3 beträgt der Steuersatz abweichend 400,- €. Beginnt oder endet die Steuerpflicht im Laufe des Kalenderjahres, beträgt die Steuer den der Dauer der Steuerpflicht entsprechenden Bruchteil der Jahressteuer.
- Hält ein Hundehalter im Stadtgebiet mehrere Hunde, so erhöht sich der nach Abs. 1 geltende Steuersatz für den zweiten und jeden weiteren Hund auf 180,- €, für den zweiten und jeden weiteren Kampfhund auf 800,- €. Werden neben Kampfhunden noch andere Hunde gehalten, so gelten diese als "weitere Hunde". Steuerfreie Hunde (§ 6) sowie Hunde in einem Zwinger (§ 7) bleiben hierbei außer Betracht.
- Kampfhunde sind solche Hunde, die aufgrund ihres Verhaltens die Annahme rechtfertigen, dass durch sie eine Gefahr für Leben und Gesundheit von Menschen und Tieren besteht. Kampfhunde im Sinne dieser Vorschrift sind insbesondere Bullterrier, Pit Bull Terrier, American Staffordshire Terrier sowie deren Kreuzungen untereinander oder mit anderen Hunden sowie Bullmastiff, Mastino Napolitano, Fila Brasileiro, Bordeaux-Dogge, Mastin Espanol, Staffordshire Bullterrier, Dogo Argentino, Mastiff und Tosa Inu.
- Die Zwingersteuer für Zwinger im Sinne von § 7 Abs. 1 beträgt das 2-fache des Steuersatzes nach Abs. 1 Satz 1. Werden in dem Zwinger mehr als 5 Hunde gehalten, so erhöht sich die Steuer für jeweils bis zu 5 weitere Hunde um die Zwingersteuer nach Satz 1.
§ 2 In-Kraft-Treten
Diese Satzung tritt am 1. Januar 2022 in Kraft. Gleichzeitig tritt § 5 der Satzung über die Erhebung einer Hundesteuer (Hundesteuersatzung) in der Fassung vom</justify> Dezember 2012 außer Kraft.
Eisenbach (Hochschwarzwald), den 17. November 2021
gez.
Karlheinz Rontke, Bürgermeister
Hinweis nach § 4 Absatz 4 GemO:
Eine etwaige Verletzung von Verfahrens- oder Formvorschriften der Gemeindeordnung für Baden-Württemberg (GemO) oder aufgrund der GemO erlassenen Verfahrensvorschriften beim Zustandekommen dieser Satzung wird nach § 4 Abs. 4 GemO unbeachtlich, wenn sie nicht schriftlich innerhalb eines Jahres seit der Bekanntmachung dieser Satzung gegenüber der Gemeinde geltend gemacht worden ist; der Sachverhalt, der die Verletzung begründen soll, ist zu bezeichnen. Dies gilt nicht, wenn die Vorschriften über die Öffentlichkeit der Satzung, die Genehmigung oder Bekanntmachung der Satzung verletzt worden sind.
Satzung zur Regelung des Kostenersatzes für Leistungen der Freiwilligen Feuerwehr der Gemeinde Eisenbach (Hochschwarzwald) (Feuerwehr-Kostenersatz-Satzung – FwKS)
Öffentliche Bekanntmachung
Satzung zur Regelung des Kostenersatzes für Leistungen der Freiwilligen Feuerwehr der Gemeinde Eisenbach (Hochschwarzwald) (Feuerwehr-Kostenersatz-Satzung – FwKS)
vom 17.11.2021
Aufgrund von § 4 Gemeindeordnung für Baden-Württemberg (GemO) in Verbindung mit § 34 Absatz 4 des Feuerwehrgesetzes (FwG) hat der Gemeinderat der Gemeinde Eisenbach (Hochschwarzwald) am 17.11.2021 folgende Satzung über den Kostenersatz für die Leistungen der Freiwilligen Feuerwehr beschlossen:
§1 Geltungsbereich
(1) Diese Satzung regelt die Kostenersatzpflicht für die Leistungen der Freiwilligen Feuerwehr Eisenbach (Hochschwarzwald) (im Folgenden Feuerwehr genannt).
(2) Ersatzansprüche nach anderen Vorschriften bleiben unberührt.
§ 2 Aufgaben der Feuerwehr
(1) Die Feuerwehr hat
- bei Schadenfeuer (Bränden) und öffentlichen Notständen Hilfe zu leisten und den Einzelnen und das Gemeinwesen vor hierbei drohenden Gefahren zu schützen und
- zur Rettung von Menschen und Tieren aus lebensbedrohlichen Lagen technische Hilfe zu leisten
Ein öffentlicher Notstand ist ein durch ein Naturereignis, einen Unglücksfall oder dergleichen verursachtes Ereignis, das zu einer gegenwärtigen oder unmittelbar bevorstehenden Gefahr für das Leben und die Gesundheit von Menschen und Tieren oder für andere wesentliche Rechtsgüter führt, von dem die Allgemeinheit, also eine unbestimmte und nicht bestimmbare Anzahl von Personen, unmittelbar betroffen ist und bei dem der Eintritt der Gefahr oder des Schadens nur durch außergewöhnliche Sofortmaßnahmen beseitigt oder verhindert werden kann.
(2) Die Feuerwehr kann ferner durch die Gemeinde beauftragt werden
- mit der Abwehr von Gefahren bei anderen Notlagen für Menschen, Tiere und Schiffe und
- mit Maßnahmen der Brandverhütung, insbesondere der Brandschutzaufklärung und -erziehung sowie der Brandsicherheitswache.
§ 3 Kostenersatzpflicht
(1) Einsätze der Feuerwehr nach § 2 Absatz 1 sind unentgeltlich, soweit nicht in Satz 2 etwas anderes bestimmt ist. Kostenersatz wird verlangt:
- vom Verursacher, wenn er die Gefahr oder den Schaden vorsätzlich oder grob fahrlässig herbeigeführt hat,
- vom Fahrzeughalter, wenn der Einsatz durch den Betrieb von Kraftfahrzeugen, Anhängefahrzeugen, Schienen-, Luft- oder Wasserkraftfahrzeugen verursacht wurde,
- vom Betriebsinhaber für Kosten der Sonderlösch- und -einsatzmittel, die bei einem Brand in einem Gewerbe- oder Industriebetrieb anfallen,
- vom Betreiber, wenn die Gefahr oder der Schaden beim Umgang mit Gefahrstoffen oder wassergefährdenden Stoffen für gewerbliche oder militärische Zwecke entstand,
- von der Person, die ohne Vorliegen eines Schadensereignisses die Feuerwehr vorsätzlich oder infolge grob fahrlässiger Unkenntnis der Tatsachen alarmiert hat,
- vom Betreiber, wenn der Einsatz durch einen Alarm einer Brandmeldeanlage oder einer anderen technischen Anlage zur Erkennung von Bränden oder zur Warnung bei Bränden mit automatischer Übertragung des Alarms an eine ständig besetzte Stelle ausgelöst wurde, ohne dass ein Schadenfeuer vorlag,
- vom Fahrzeughalter, wenn der Einsatz durch einen Notruf ausgelöst wurde, der über ein in einem Kraftfahrzeug installiertes System zum Absetzen eines automatischen Notrufs oder zur automatischen Übertragung einer Notfallmeldung an eine ständig besetzte Stelle eingegangen ist, ohne dass ein Schadensereignis im Sinne von § 2 Absatz 1 FwG vorlag.
In den Fällen der Nummern 1 und 5 gelten § 6 Absätze 2 und 3 des Polizeigesetzes des Landes Baden-Württemberg (PolG) entsprechend.
(2) Für Einsätze nach § 2 Absatz 2 wird Kostenersatz verlangt. Kostenersatzpflichtig ist
- derjenige, dessen Verhalten die Leistung erforderlich gemacht hat; § 6 Absätze 2 und 3 des PolG gelten entsprechend,
- der Eigentümer der Sache, deren Zustand die Leistung erforderlich gemacht hat, oder derjenige, der die tatsächliche Gewalt über eine solche Sache ausübt,
- derjenige, in dessen Interesse die Leistung erbracht wurde,
- abweichend von den Nummern 1 bis 3 der Fahrzeughalter, wenn der Einsatz durch den Betrieb vom Kraftfahrzeugen, Anhängefahrzeugen, Schienen-, Luft- oder Wasserkraftfahrzeugen verursacht wurde.
(3) Ersatz der Kosten soll nicht verlangt werden, soweit dies eine unbillige Härte wäre oder im öffentlichen Interesse liegt.
§ 4 Überlandhilfe
Die Kosten der Überlandhilfe hat der Träger der Feuerwehr zu tragen, dem Hilfe geleistet worden ist. § 34 Absätze 4 bis 8 FwG i.V.m. § 5 des Satzungsmusters gelten entsprechend.
§ 5 Höhe des Kostenersatzes
(1) Der Kostenersatz wird in Stundensätzen für Einsatzkräfte und Feuerwehrfahrzeuge nach Maßgabe des § 34 Absätze 4 bis 8 FwG erhoben. Die Höhe der Kostenersätze ergibt sich aus dem in der Anlage zu dieser Satzung beigefügten Verzeichnis.
(2) Für die Erhebung der Kosten für Einsatzkräfte werden Durchschnittssätze festgelegt.
(3) Für die normierten und mit diesen vergleichbaren Feuerwehrfahrzeugen gelten gemäß § 34 Absatz 8 FwG die pauschalen Stundensätze der Verordnung des Innenministeriums Baden-Württemberg über den Kostenersatz für Einsätze der Feuerwehr (VOKeFw) in der jeweils geltenden Fassung.
(4) Die Einsatzdauer beginnt
- bei den Kosten für Einsatzkräfte mit der Alarmierung (Beginn des Einsatzes) und endet nach Wiederherstellung der Einsatzbereitschaft einschließlich der notwendigen Aufräumungs- und Reinigungszeiten.
- bei Fahrzeugen mit der Abfahrt aus dem Feuerwehrgerätehaus und endet nach der Wiederherstellung der Einsatzbereitschaft einschließlich Reinigungs-, Prüfungs-, Reparatur- und sonstiger Zeiten, die sich daraus ergeben, dass Feuerwehrfahrzeuge wieder einsatzfähig gemacht werden.
(5) Die Stundensätze werden halbstundenweise abgerechnet. Angefangene Stunden werden bis zu 30 Minuten auf halbe Stunden, darüber hinaus auf volle Stunden aufgerundet.
(6) Daneben kann Ersatz verlangt werden für
- von der Gemeinde für den Einsatz von Hilfe leistenden Gemeinde- und Werkfeuerwehren oder anderen Hilfe leistenden Einrichtungen und Organisationen erstattete Kosten,
- die Kosten der Sonderlösch- und Einsatzmittel nach § 3 Absatz 1 Satz 2 Nr.3,
- sonstige durch den Einsatz verursachte notwendige Kosten und Auslagen. Hierzu gehören insbesondere die durch die Hilfeleistung herangezogener und nicht durch Nr. 1 erfasster Dritter, die Verwendung besonderer Lösch- und Einsatzmittel und die Reparatur oder den Ersatz besonderer Ausrüstungen entstandenen Kosten und Auslagen.
§6 Entstehen, Festsetzung und Fälligkeit der Kostenschuld
(1) Die Verpflichtung zum Kostenersatz entsteht mit Beendigung der Inanspruchnahme der Feuerwehr.
(2) Der Kostenersatz wird durch Verwaltungsakt festgesetzt.
(3) Der Kostenersatz wird zu dem im Kostenbescheid genannten Zeitpunkt fällig.
§7 Inkrafttreten
Diese Satzung tritt am 19.11.2021 in Kraft.
Eisenbach (Hochschwarzwald), den 17.11.2021
gez.
Karlheinz Rontke, Bürgermeister
Anlage zu § 5 Absatz 1 (Kostenverzeichnis)
1. Personalkosten
Feuerwehrangehörige (pro Person, je Stunde) 5,00 €/Stunde
2. Fahrzeuge
Für die genormten Fahrzeuge gelten die Pauschalsätze der Verordnung des Innenministeriums über den Kostenersatz für Einsätze der Feuerwehr (VOKeFw) vom 18.03.2016 (GBI. S. 253) in ihrer jeweils gültigen Fassung.
Hinweis nach § 4 Absatz 4 GemO: Eine etwaige Verletzung von Verfahrens- oder Formvorschriften der Gemeindeordnung für Baden-Württemberg (GemO) oder aufgrund der GemO erlassenen Verfahrensvorschriften beim Zustandekommen dieser Satzung wird nach § 4 Abs. 4 GemO unbeachtlich, wenn sie nicht schriftlich innerhalb eines Jahres seit der Bekanntmachung dieser Satzung gegenüber der Gemeinde geltend gemacht worden ist; der Sachverhalt, der die Verletzung begründen soll, ist zu bezeichnen. Dies gilt nicht, wenn die Vorschriften über die Öffentlichkeit der Satzung, die Genehmigung oder Bekanntmachung der Satzung verletzt worden sind.
Satzung über die Erhebung von Gebühren für die Tätigkeit des gemeinsamen Gutachterausschusses „Breisgau-Nord Hochschwarzwald“ bei der Gemeinde Kirchzarten und seiner Geschäftsstelle(Gutachterausschussgebührensatzung)
Satzung
über die Erhebung von Gebühren für die Tätigkeit des gemeinsamen Gutachterausschusses „Breisgau-Nord Hochschwarzwald“ bei der Gemeinde Kirchzarten und seiner Geschäftsstelle(Gutachterausschussgebührensatzung)
Gemeinde Kirchzarten
Ldkr. Breisgau-Hochschwarzwald
Aufgrund des § 4 der Gemeindeordnung für Baden-Württemberg (GemO) in Verbindung mit den §§ 2, 11 und 12 des Kommunalabgabengesetzes (KAG) jeweils in der derzeit gültigen Fassung hat der Gemeinderat der Gemeinde Kirchzarten in seiner Sitzung am 21. Oktober 2021 folgende Satzung beschlossen:
§ 1Gebührenpflicht
- Die Gemeinde Kirchzarten erhebt Gebühren für die Erstattung von Gutachten durch den gemeinsamen Gutachterausschuss „Breisgau-Nord Hochschwarzwald“ bei der Gemeinde Kirchzarten (im Folgenden Gemeinsamer Gutachterausschuss) gemäß § 192 ff. Baugesetzbuch (BauGB) und für Leistungen der Geschäftsstelle des Gutachterausschusses nach Maßgabe dieser Satzung.
- Diese Satzung gilt nicht für Gutachten des Gemeinsamen Gutachterausschusses und Tätigkeiten der Geschäftsstelle, die einem Gericht oder einem Staatsanwalt zu Beweiszwecken erbracht werden. In diesen Fällen bemisst sich die Entschädigung des Gemeinsamen Gutachterausschusses nach den Vorschriften des Justizvergütungs- und -entschädigungsgesetzes (JVEG).
- Die Gemeinde Kirchzarten kann Dritte beauftragen, die Gebühren nach dieser Satzung zu berechnen, Bescheide auszufertigen und zu versenden, die Gebühren entgegenzunehmen und abzuführen, Nachweise darüber für die Gemeinde Kirchzarten zu führen sowie die erforderlichen Daten zu verarbeiten und die verarbeiteten Daten der Gemeinde Kirchzarten mitzuteilen.
§ 2Gebührenschuldner, Haftung
- Gebührenschuldner ist, wer die Erstattung des Gutachtens veranlasst oder in wessen Interesse sie vorgenommen wird.
- Mehrere Gebührenschuldner haften als Gesamtschuldner.
- Neben dem Gebührenschuldner haftet, wer die Gebührenschuld durch schriftliche Erklärung gegenüber der Geschäftsstelle des Gemeinsamen Gutachterausschuss übernommen hat; dies gilt auch für denjenigen, der für die Gebührenschuld eines anderen kraft Gesetzes haftet.
§ 3Gebührenmaßstab
- Die Gebühren werden nach dem ermittelten Verkehrswert/Wert des Grundstücks, des grundstücksgleichen oder sonstigen Rechts bzw. der baulichen oder sonstigen Anlagen erhoben. Maßgebend ist der Verkehrswert nach Abschluss der Wertermittlung. Für Grundstücke ohne Verkehrswert ist der ermittelte Wert für die Gebührenbemessung maßgebend.
- Als Grundstück im Sinne dieser Satzung gilt die wirtschaftliche Einheit, nicht das Grundstück im Sinne der Grundbuchordnung (GO). Als Grundstücke gelten auch die grundstücksgleichen Rechte (Wohnungs-/Teileigentum, Erbbaurecht etc.).
- Für jeden ermittelten Verkehrswert eines Grundstücks wird die Gebühr – mit Ausnahmen der Absätze (4) bis (7) – gesondert berechnet.
- Liegen mehrere gleichartige, unbebaute, land- und/oder forstwirtschaftlich genutzte Grundstücke nebeneinander und bilden diese eine wirtschaftliche Einheit, wird die Gebühr aus der Summe der Verkehrswerte dieser Grundstücke berechnet.
- Werden für ein Grundstück mehrere Einzelwerte festgelegt, so wird die Gebühr aus der Summe der Einzelwerte berechnet.
- Sind im Rahmen einer Wertermittlung mehrere Sachen und/oder Rechte, die sich auf ein Grundstück oder ein grundstücksgleiches Recht beziehen, zu bewerten, so ist die Gebühr aus der Summe der maßgeblichen Werte der einzelnen Gegenstände (Sachen und/oder Rechte) zu berechnen. Gleiches gilt, wenn Wertunterschiede auf der Grundlage unterschiedlicher Grundstückseigenschaften zu ermitteln sind. Wertermittlungen mehrerer Eigentumswohnungen auf einem Grundstück oder gleichartiger unbebauter Grundstücke gelten hier als eine Wertermittlung, sofern alle Objekte in einem Verkehrswertgutachten zu einem Stichtag bewertet werden.
- Sind Wertermittlungen für Sachen und/oder Rechte zu unterschiedlichen Stichtagen durchzuführen, so wird für jeden Stichtag eine Gebühr berechnet. Für den höchsten Verkehrswert nach Absatz1 wird die volle Gebühr erhoben. Für alle anderen Verkehrswerte wird der halbe Wert nach Absatz 1 zu Grunde gelegt.
- Wird der Wert eines (ideellen) Miteigentumsanteils ermittelt, der nicht mit Sondereigentum nach dem Wohnungseigentumsgesetz (WEG) verbunden ist, so wird die Gebühr aus dem Wert des gesamten Grundstücks berechnet.
- Bei Gutachten über die Ermittlung sanierungsbedingter Bodenwerterhöhungen (§ 154 Abs. 2 BauGB) wird die Gebühr aus dem ermittelten Neuordnungswert des gesamten Grundstücks berechnet.
- Bei Wertermittlungen für Baulandumlegungsverfahren auf Antrag der Umlegungsstelle bildet der Wert der Verteilungsmasse die Bemessungsgrundlage für die Gebührenfestsetzung.
- Für die Ermittlung besonderer Bodenrichtwerte (§ 196 Abs. 1 Satz 7 BauGB) werden Gebühren analog zum JVEG erhoben.
- Veranlasst der Antragsteller den Gemeinsamen Gutachterausschuss oder dessen Geschäftsstelle nach Abschluss der Wertermittlung zu einer Erörterung von seinen Gegenvorstellungen ohne Auswirkungen auf die Wertaussage des Gutachtens, werden hierfür Gebühren für die Geschäftsstelle des Gutachterausschusses je Zeiteinheit entsprechend § 9 dieser Satzung und für die Entschädigung der Gutachter Gebühren entsprechend dem JVEG erhoben. Für die Teilnahme an Ortsterminen wird Fahrtkostenersatz analog dem JVEG erhoben.
- Soweit die Leistungen nach dieser Satzung umsatzsteuerpflichtig sind, ist in der Gebühr die Umsatzsteuer in der jeweiligen gesetzlichen Höhe enthalten.
§ 4Ermäßigte Gebühr
- Ist dasselbe Grundstück, dasselbe Recht bzw. dieselbe Anlage innerhalb von drei Jahren erneut zu bewerten, ohne dass sich die tatsächlichen und rechtlichen Verhältnisse geändert haben, so ermäßigt sich die Gebühr um 30%.
- Für Umrechnungen und Wertfortschreibungen ohne erneute Bewertung durch den Gutachterausschuss beträgt die Gebühr 30% der nach dem fortgeschriebenen oder umgerechneten Wert zu erhebenden vollen Gebühr nach § 6 Abs. 2.
§ 5Erhöhte Gebühr
Die Gebühr kann sich um bis zu 100% erhöhen, wenn das Gutachten auf Antrag des Antragstellers entsprechend § 6 Abs. 3 Gutachterausschussverordnung unter besonderer Würdigung der Vergleichspreise und Darlegung der angewandten Methoden auszuarbeiten ist oder wenn die Wertermittlung besonderen zusätzlichen Aufwand erfordert, wie z.B.:
- erschwerte Beschaffung von Unterlagen;
- umfangreiche und / oder zeitaufwändige Teilnahme an Besprechungen bzw. Beratungen;
- Erstellung von örtlichen Aufmassen und Berechnungen bei nicht Vorliegen von entsprechenden Unterlagen;
- weitläufige oder erschwerte Zufahrt und Begehung;
- Bewertung von besonderen rechtlichen und tatsächlichen Situationsmerkmalen;
- Ermittlung von Abbruchkosten;
- Bewertung von Rechten und Belastungen;
- Beachtung und / oder Berücksichtigung von sonstigen außergewöhnlichen Ertragsverhältnissen, z.B. Staffelmieten;
- Berücksichtigung von Entschädigungsgesichtspunkten;
- sonstige spezielle Berechnungsverfahren bei bebauten Grundstücken, z.B. Liquidations- / Residualverfahren oder sonstige spezielle Berechnungsverfahren;
- zurückliegender Stichtag für die Wertermittlung unter Berücksichtigung von historischen, rechtlichen und tatsächlichen Zustandsmerkmalen;
- erschwerte Wertermittlungen wegen fehlenden Vergleichspreisen oder Vergleichsfällen aus der Kaufpreissammlung;
- erhöhtes Studium von Fachliteratur und Rechtsprechung;
- Mehraufwand in den Erläuterungen und redaktionellen Darstellungen der Wertermittlungsgrundlagen bzw. Wertableitungen auch im Hinblick auf eine gute Nachvollziehbarkeit der für die Wertermittlung wertrelevanten Daten und der Wertermittlungsergebnisse
- wenn vom Antragsteller ein zusätzliches Wertermittlungsverfahren verlangt wird (zusätzliche Ermittlung des Sach-, Ertrags- oder Vergleichwertes) soweit dies möglich ist
- Bei zusätzlicher schriftlicher Begründung oder Ausarbeitung auf Verlangen des Antragsteller
- Zusätzlicher Ortstermin
- Wenn der Antragsteller während der Bearbeitung des Gutachtens den Gutachtenauftrag (z.B. Änderung des Wertermittlungsstichtages, Änderung des Wertermittlungsgegenstandes) ändert.
§ 6Gebührenhöhe
- Bei der Wertermittlung von Sachen und Rechten beträgt die Gebühr bei einem Wert
- Für die Erstattung von Gutachten nach § 5 Abs. 2 des Bundeskleingartengesetzes (BKleingG), ortsübliche Pacht, werden Gebühren für die Geschäftsstelle des Gutachterausschusses je Zeiteinheit entsprechend § 9 dieser Satzung und für die Entschädigung der Gutachter Gebühren entsprechend dem JVEG erhoben. Für die Teilnahme an Ortsterminen wird Fahrtkostenersatz analog dem JVEG erhoben. Die Mindestgebühr beträgt 321,00€.
- Für Auskünfte zum Bodenrichtwert bzw. Bodenwert (§ 196 Abs. 3 BauGB) beträgt die Gebühr 27,00 € pro Wert.
- Für Auskünfte aus der Kaufpreissammlung (§ 195 Abs. 3 BauGB und § 13 der Gutachterausschussverordnung) beträgt die Gebühr 52,90 € pro Wert.
- In der Gebühr sind bei der Erstattung von Gutachten durch den Gemeinsamen Gutachterausschuss zwei Ausfertigungen des Gutachtens enthalten. Ist der Antragsteller nicht Eigentümer, so erhalten Antragsteller und Eigentümer je eine Ausfertigung. Für jede weitere Ausfertigung bzw. jeden weiteren Auszug werden Gebühren für die Geschäftsstelle des Gutachterausschusses je Zeiteinheit entsprechend § 9 dieser Satzung erhoben.
§ 7Rücknahme, Ablehnung eines Antrags
- Wird ein Antrag auf Erstellung eines Gutachtens zurückgenommen, bevor der Gutachterausschuss einen Beschluss über den Wert des Gegenstandes gefasst hat, so wird eine Gebühr nach dem Bearbeitungsstand von bis zu 100 % der vollen Gebühr des geschätzten Wertes erhoben. Wird ein Antrag erst nach dem Beschluss zurückgenommen, so entsteht die volle Gebühr.
- Wird ein Antrag auf Erstattung eines Gutachtens durch den Gemeinsamen Gutachterausschuss abgelehnt, so wird die Gebühr nach dem insoweit entstandenen Bearbeitungsaufwand für die Geschäftsstelle des Gutachterausschusses je Zeiteinheit entsprechend § 9 dieser Satzung und für die Entschädigung der Gutachter entsprechend dem JVEG erhoben. Für die Teilnahme an Ortsterminen wird Fahrtkostenersatz analog dem JVEG erhoben.
§ 8Besondere Sachverständige, erhöhte Auslagen
- Werden mit Zustimmung des Antragstellers besondere Sachverständige bei der Wertermittlung zugezogen(z.B. Sachverständige für Altlasten o.ä.), so hat der Gebührenschuldner die hierdurch entstehenden Auslagen neben den Gebühren nach dieser Satzung zu entrichten.
- Entstandene Auslagen (z.B. Auszüge aus dem Liegenschaftskataster, Grundbuchauszüge, o.ä.) sind neben der Gebühr zu erstatten.
- Soweit die sonstigen Auslagen das übliche Maß übersteigen, sind sie neben der Gebühr zu ersetzen.
- Für die Erstattung von Auslagen sind die für die Gebühren geltenden Vorschriften entsprechend anzuwenden.
§ 9Gebühren für sonstige Leistungen des Gemeinsamen Gutachterausschusses und seiner Geschäftsstelle
- Für sonstige Leistungen, soweit sie nicht in dieser Satzung ausdrücklich aufgeführt sind, werden Gebühren nach Zeitaufwand erhoben. Bei der Gemeinde Kirchzarten beträgt eine Zeiteinheit (ZE) 15 Minuten.
- Die allgemeine Verwaltungsgebühr für die Tätigkeit des Gemeinsamen Gutachterausschusses und/oder seiner Geschäftsstelle beträgt 17,60€/Zeiteinheit.
§ 10Entstehung und Fälligkeit
- Die Gebühr entsteht mit der Beendigung der Wertermittlung durch den Beschluss des Gemeinsamen Gutachterausschusses. Bei Zurücknahme des Antrags nach § 7 entsteht die Gebühr mit dem Eingang der Rücknahmeerklärung bei der Geschäftsstelle des Gemeinsamen Gutachterausschusses. Bei Ablehnung eines Antrags nach § 7 entsteht die Gebühr mit der entsprechenden Entscheidung der Geschäftsstelle des Gutachterausschusses.
- Die Gebühr wird einen Monat nach Bekanntgabe des Gebührenbescheides an den Gebührenschuldner fällig
§ 11Vorauszahlung, Sicherheitsleistung
- Die Erstattung eines Gutachtens kann davon abhängig gemacht werden, dass die Gebühr ganz oder teilweise vorausgezahlt oder für sie Sicherheit geleistet wird.
- Von der Anforderung einer Vorauszahlung oder der Anordnung einer Sicherheitsleistung ist abzusehen, wenn dadurch eine für den Gebührenschuldner unzumutbare Verzögerung entstehen würde oder dies aus sonstigen Gründen unbillig wäre.
§ 12Übergangsbestimmungen
- Die bisher bei den Geschäftsstellen der Gutachterausschüsse der abgebenden Städte/Gemeinden oder ihrer Zusammenschlüsse (z.B. Gemeinde Gundelfingen) beantragten und noch nicht fertig gestellten Verkehrswertgutachten gehen auf den Gemeinsamen Gutachterausschuss über.
- Für Leistungen, die vor Inkrafttreten dieser Satzung für den Gemeinsamen Gutachterausschuss bei den zuvor zuständigen Geschäftsstellen der Gutachterausschüsse der abgebenden Städte/Gemeinden oder ihrer Zusammenschlüsse (z.B. Gemeinde Gundelfingen) beantragt und noch nicht fertiggestellt wurden, entstehen Gebühren auf der Grundlage dieser Gutachterausschussgebührensatzung des gemeinsamen Gutachterausschusses „Breisgau - Nord Hochschwarzwald“ bei der Gemeinde Kirchzarten.
§ 13Inkrafttreten
Die Satzung tritt am 01. November 2021 in Kraft.
Ausgefertigt:
Kirchzarten, den 22. Oktober 2021
Andreas Hall, Bürgermeister
Hinweis:
Eine etwaige Verletzung von Verfahrens- oder Formvorschriften der Gemeindeordnung für Baden-Württemberg (GemO) oder von auf Grund der GemO erlassener Verfahrensvorschriften beim Zustandekommen dieser Satzung wird nach § 4 Abs. 4 GemO unbeachtlich, wenn sie nicht schriftlich innerhalb eines Jahres seit der Bekanntmachung dieser Satzung gegenüber der Gemeinde geltend gemacht worden ist; der Sachverhalt, der die Verletzung begründen soll, ist zu bezeichnen. Dies gilt nicht, wenn die Vorschriften über die Öffentlichkeit der Sitzung, die Genehmigung oder die Bekanntmachung der Satzung verletzt worden sind.
Öffentliche Bekanntmachung der Öffentlich-rechtlichen Vereinbarung zur Bildung des "Gemeinsamen Gutachterausschuss Breisgau Nord-Hochschwarzwald" sowie die Genehmigung durch das Landratsamt Breisgau-Hochschwarzwalrzwald
Öffentlich-rechtliche Vereinbarung
Im Folgenden stellen wir Ihnen die Öffentlich-rechtliche Vereinbarung zur Bildung des "Gemeinsamen Gutachterausschuss Breisgau Nord-Hochschwarzwald" (4,5 MB) zur Einsicht bereit, sowie die Genehmigung (285 KB) durch das Landratsamt Breisgau-Hochschwarzwalrzwald (PDF / nicht barrierefrei).
Satzung zur Änderung der Kostenordnung für die Benutzung der gemeindeeigenen Gebäude (Veranstaltungsräume)
Satzung zur Änderung der Kostenordnung für die Benutzung der gemeindeeigenen Gebäude (Veranstaltungsräume)
Aufgrund des § 4 der Gemeindeordnung für Baden-Württemberg (GemO) hat der Gemeinderat der Gemeinde Eisenbach (Hochschwarzwald) am 19. Mai 2021 folgende Satzung beschlossen:
§1Die Gebühr für die Tagungspauschale „Pur“ beträgt 15,- € pro Person und Tag und beinhaltet 3 x Kaffee, 1 x Gebäck, Getränke inkl. Beamer und Leinwand zuzüglich der Raumgebühr.
Die Gebühr für die Tagungspauschale „Aktiv“ beträgt 22,- € pro Person und Tag und beinhaltet 3 x Kaffee, 1 x Brezel, 1x Obst, 1x Gebäck, Getränke inkl. Beamer und Leinwand zuzüglich der Raumgeühr.
§2 Diese Satzung tritt am 1. Juni 2021 in Kraft.
Eisenbach (Hochschwarzwald), 19. Mai 2021
gez.
Karlheinz Rontke,
Bürgermeister
Hinweis
Eine etwaige Verletzung von Verfahrens- oder Formvorschriften der Gemeindeordnung für Baden-Württemberg oder aufgrund der Gemeindeordnung beim Zustandekommen dieser Satzung wird nach § 4 Abs. 4 der Gemeindeordnung unbeachtlich, wenn sie nicht schriftlich innerhalb eines Jahres seit der Bekanntmachung dieser Satzung gegenüber der Gemeinde geltend gemacht worden ist. Der Sachverhalt, der die Verletzung begründen soll, ist zu bezeichnen. Die gilt nicht, wenn die Vorschriften über die Öffentlichkeit der Sitzung, die Genehmigung oder die Bekanntmachung dieser Satzung verletzt worden sind.
Im Folgenden kann die Übersicht der Gebühren für die Nutzung der gemeindeeigenen Gebäude (Versammlungsräume) der Gemeinde Eisenbach (Hochschwarzwald) eingesehen werden:
Kostenordnung (114 KB) (PDF / nicht barrierefrei)










